$17 Per Sq Ft
FOR LEASE

Business for Sale

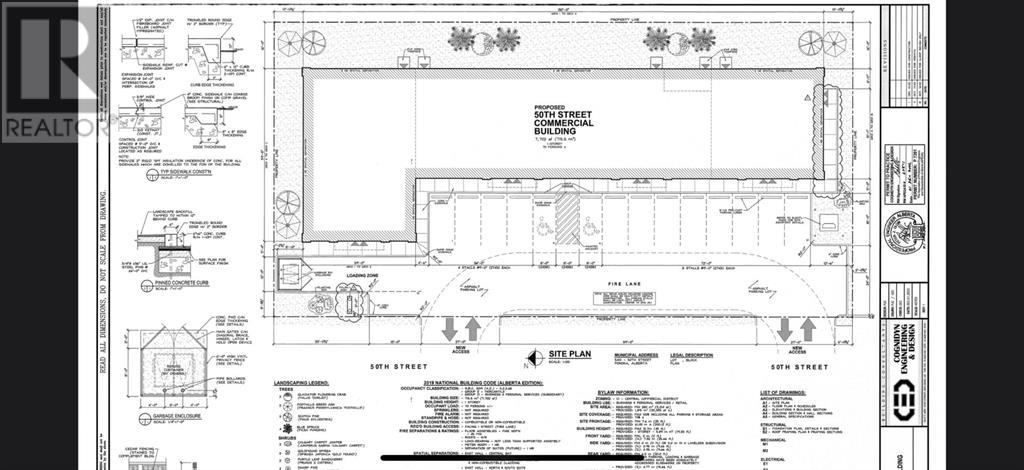
Lot: 60.96 x 15.24 m

5407 50 Street #102
Ponoka, AB T4J 1H9

Looking to start your new business venture, or are you wanting to expand? have a look at this Newly constructed lease space already  completed in 2026 in the ever expanding town of Ponoka. This multi unit space is full of possibilities, located in a high traffic location.  The possibilities are endless for this future commercial space.The NNN cost estimated to be $3. (id:47421)
Share
Listed By Century 21 Gillany Realty
Data Provided By Central Alberta REALTORS® Association
MLS® Listing Number A2219329
Last Updated May 04, 2026
Property Summary
Property Type Business For Sale

More like this:
Franchise Non-Franchise
Community Central Ponoka
Price History

Interested in obtaining the full price history for this property?
Contact us!Contact us! Our real estate professionals would be happy to provide a complete listing history with historical sold prices and dates.

Detailed Information
Lot 60.96 x 15.24 m
Lease Time Monthly
Listing Contract Date 2025-05-20
Municipal ID 0039508214
Plan RN7C
Property Type Business
Road Paved road
Transaction Type For lease
Zoning Description C1
Building
Constructed Date 2025
Cooling Type Fully air conditioned
Foundation Type Poured Concrete
Heating Fuel Natural gas
Heating Type Forced air
Size (Exterior) 1540.4 square feet
Total Finished Area 1540.4 sqft
Land
Total Size 0.46 acres
Size of Irregular Land 0.46

The information contained on this site is based in whole or in part on information that is provided under copyright by the Toronto Regional Real Estate Board (TRREB) or by members of The Canadian Real Estate Association (CREA), who are responsible for its accuracy. TRREB and CREA reproduce and distribute this information as a service for their members and assume no responsibility for its accuracy. All information displayed is believed to be accurate but is not guaranteed and should be independently verified. No warranties or representations of any kind are made with respect to the accuracy of such information.
The information provided herein must only be used by consumers that have a bona fide interest in the purchase, sale, or lease of real estate and may not be used for any commercial purpose or any other purpose.

FREE ESTIMATES ARE COMING

Reserve Your Spot To Be Notified
or

Coming soon to select cities
in North America

(We'll never share your details)