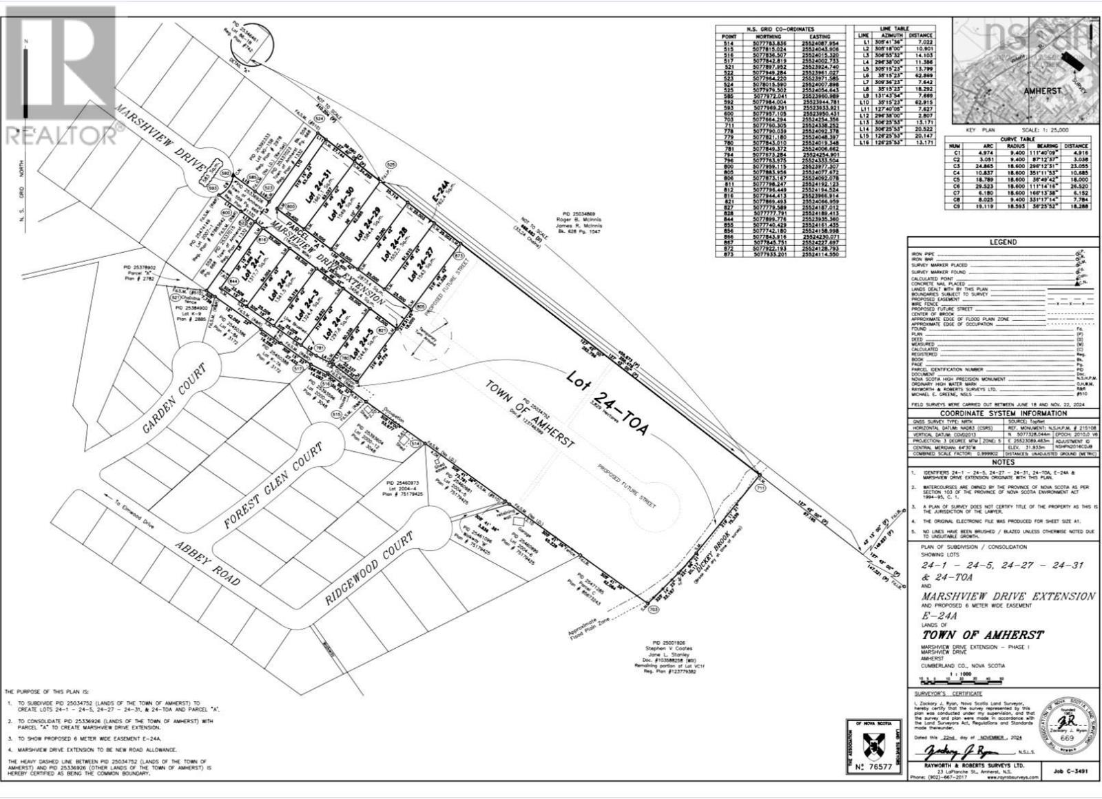
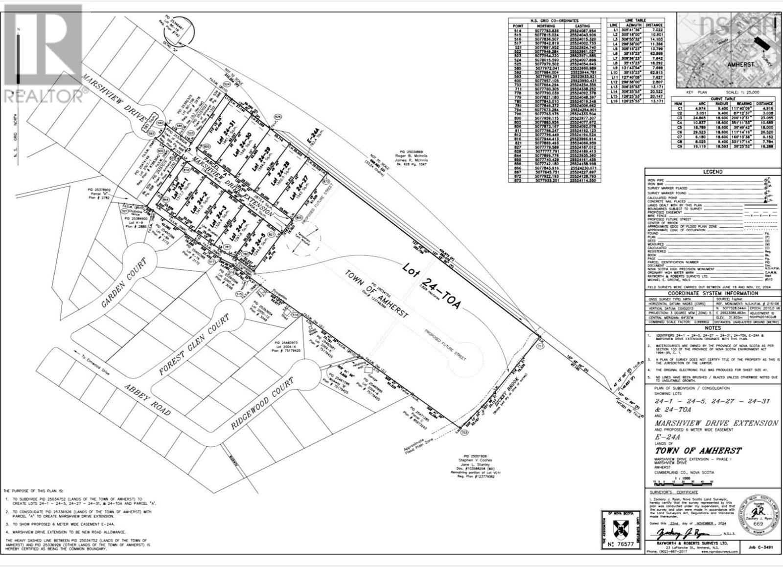
Welcome to Marshview Drive Extension, the latest addition to Amhersts sought-after, family-friendly neighbourhood! Situated on the edge of town, this vibrant community offers an exceptional opportunity to build your dream home in a location that combines convenience, privacy, and natural beauty. Phase 1 features 10 premium lots, each averaging 15,198 sq/ft (or approximately 0.34 acres), providing ample space for your new home, plus room for kids, pets, or outdoor enjoyment. These lots offer access to municipal water and sewer services, ensuring both practicality and comfort for your new build. As Amherst continues to grow and, the demand for larger, well-located parcels has never been greater. With numerous housing developments underway across the town, opportunities like these are rare-and they wont last long. Take advantage of this chance to select your ideal lot of this exciting new development! This particular lot-Lot 24-2-spans 14,439 sq/ft and features a gentle slope, ideal for a basement build with egress windows, allowing for natural light on the lower level. Restrictive covenants are in place to maintain the high standards of the community, dont miss out on this incredible opportunity! (id:47421)
Interested in obtaining the full price history for this property? Contact us!Contact us! Our real estate professionals would be happy to provide a complete listing history with historical sold prices and dates.
Detailed Information
Listing Contract Date
2026-01-20
Location Description
Off off East Victoria onto Marshview Drive, follow to the end of the paved cul-de-sac. Watch for signs.
Municipal ID
25519786
Ownership Type
Freehold
Property Type
Vacant Land
Transaction Type
For sale
Building
Utility Water
Municipal water
Parking Spaces
Name
Spaces
Other
Land
Total Size
0.3315 acres
Disposition Features
Cleared
Landscape Features
Not landscaped
Sewer
Municipal sewage system
Size of Irregular Land
0.3315
Terms of Use
Please review and agree to the following terms of use to access the listing content:
REALTOR®, REALTORS®, and the REALTOR® logo are certification marks that are owned by REALTOR® Canada Inc. and licensed exclusively to The Canadian Real Estate Association (CREA). These certification marks identify real estate professionals who are members of CREA and who must abide by CREA's By-Laws, Rules, and the REALTOR® Code. The MLS® trademark and the MLS® logo are owned by CREA and identify the quality of services provided by real estate professionals who are members of CREA;
The information contained on this site is based in whole or in part on information that is provided by members of CREA, who are responsible for its accuracy. CREA reproduces and distributes this information as a service for its members and assumes no responsibility for its accuracy;
This website is operated by a brokerage or salesperson who is a member of CREA;
The listing content on this website is protected by copyright and other laws, and is intended solely for the private, non-commercial use by individuals. Any other reproduction, distribution or use of the content, in whole or in part, is specifically forbidden. The prohibited uses include commercial use, "screen scraping", "database scraping", and any other activity intended to collect, store, reorganize or manipulate data on the pages produced by or displayed on this website.
The information contained on this site is based in whole or in part on information that is provided under copyright by the Toronto Regional Real Estate Board (TRREB) or by members of The Canadian Real Estate Association (CREA), who are responsible for its accuracy. TRREB and CREA reproduce and distribute this information as a service for their members and assume no responsibility for its accuracy. All information displayed is believed to be accurate but is not guaranteed and should be independently verified. No warranties or representations of any kind are made with respect to the accuracy of such information. The information provided herein must only be used by consumers that have a bona fide interest in the purchase, sale, or lease of real estate and may not be used for any commercial purpose or any other purpose.