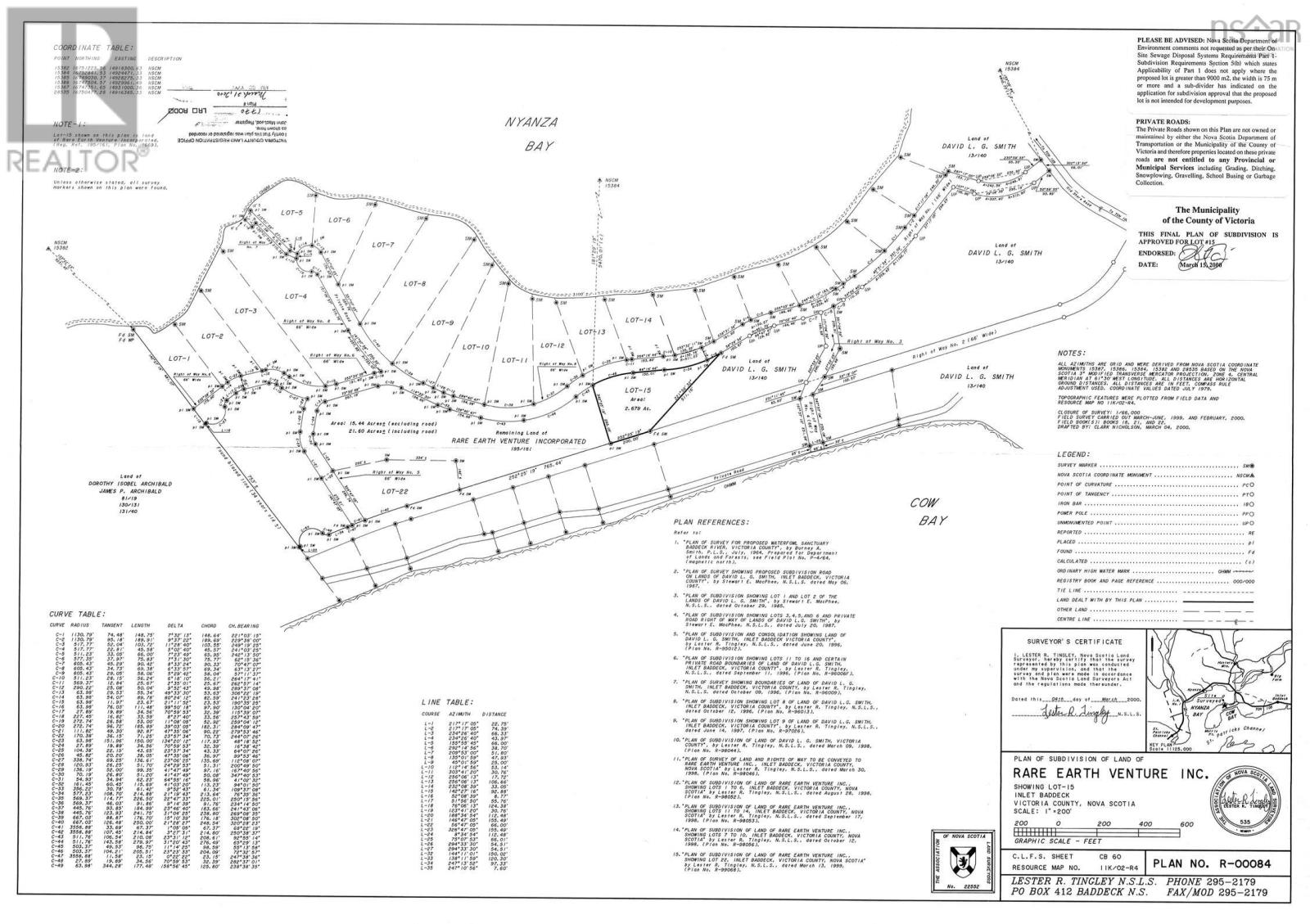
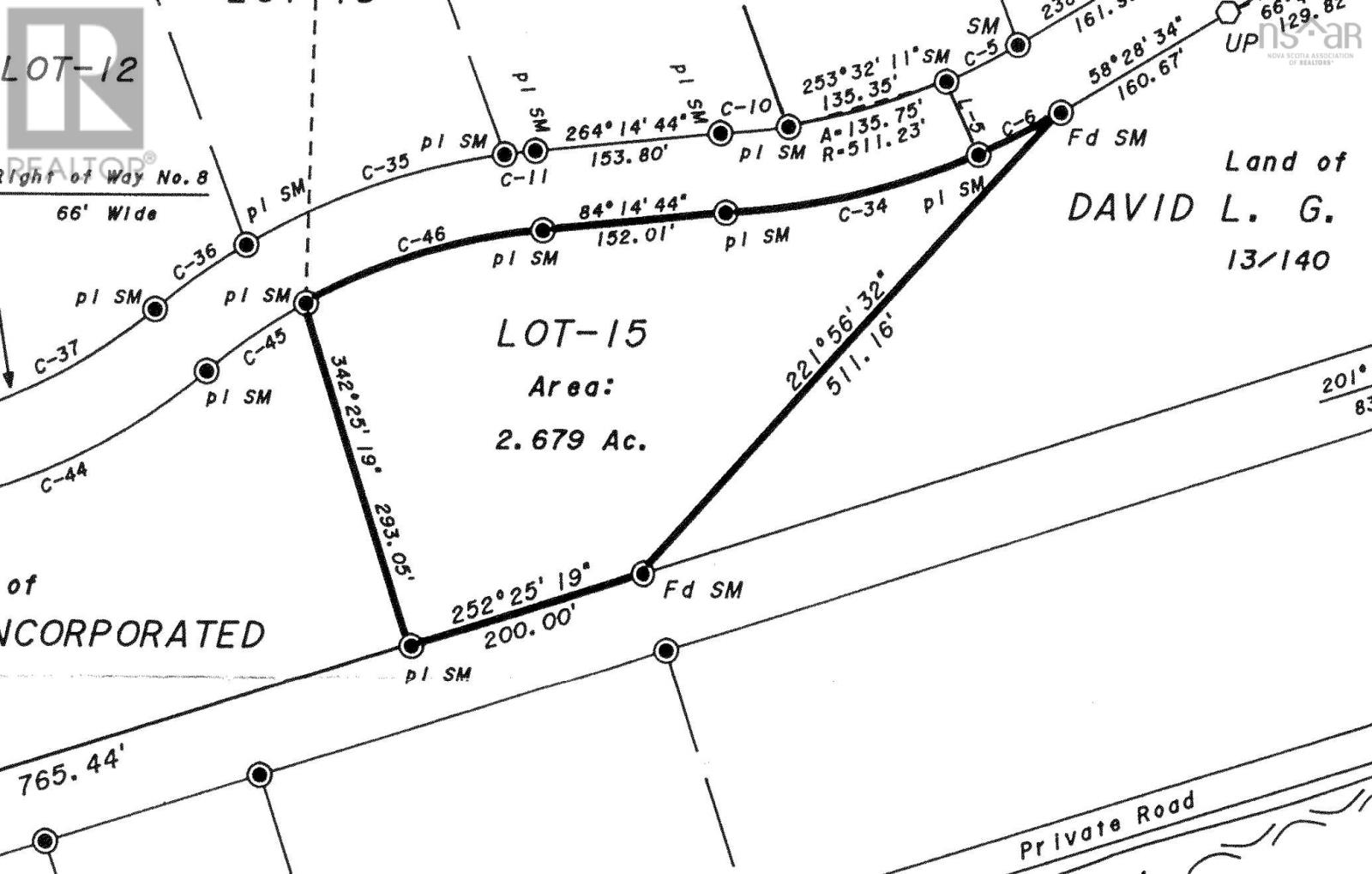
Discover 2.68 acres of pristine land on the shores of Canadas largest inland sea, the Bras dOr Lake. Located on a private road in a quiet, well-established subdivision, this wooded parcel offers exceptional privacy while remaining just minutes from key amenities. The property features mature maple, birch, pine, and spruce throughout, providing a natural setting for a future home or cottage. This property isnt waterfront, but the lot benefits from two deeded water access points on the Bras dOr: one with a west-facing sand beach and another facing east, offering flexibility for swimming, kayaking, sailing, and mooring. The surrounding area is known for outstanding recreational opportunities, including world-renowned golf courses, exceptional fishing and boating, extensive hiking trails, and some of the best snowmobiling in the region. An old drilled well exists on the property, installed during the development of the subdivision. While its current water viability is unknown, it provides a starting point for future owners seeking water access. There is also the start of a driveway in place, now grown in, but providing a clear foundation for future access. Situated on St. Patricks Channel, the lot is only five minutes from the Cabot Trail and ten minutes from the village of Baddeck, offering convenient access to shops, services, restaurants, and cultural sites. This location provides the perfect balance: a peaceful retreat with all amenities close at hand. Whether you are envisioning a year-round residence or a seasonal escape, this exceptional Bras dOr Lake property delivers the space, access, and setting to bring your plans to life. (id:47421)
Interested in obtaining the full price history for this property? Contact us!Contact us! Our real estate professionals would be happy to provide a complete listing history with historical sold prices and dates.
Detailed Information
Features
Treed, Hardwood bush, Softwood bush
Listing Contract Date
2025-12-12
Location Description
Coming North on the Cabot Trail, you will pass the Red Barn gift shop on the left. Just over that next bridge you will take a right onto Beverly's Hill by the campground. Mersey Road will be on the right about 1km or so down the road. There is a cluster of mailboxes by the turn-off. Property is on the left side of Mersey Road.
Municipal ID
85129922
Ownership Type
Freehold
Property Type
Vacant Land
Transaction Type
For sale
Building
Parking Spaces
Name
Spaces
None
Land
Total Size
2.68 acres
Acreage
Yes
Sewer
No sewage system
Size of Irregular Land
2.68
Terms of Use
Please review and agree to the following terms of use to access the listing content:
REALTOR®, REALTORS®, and the REALTOR® logo are certification marks that are owned by REALTOR® Canada Inc. and licensed exclusively to The Canadian Real Estate Association (CREA). These certification marks identify real estate professionals who are members of CREA and who must abide by CREA's By-Laws, Rules, and the REALTOR® Code. The MLS® trademark and the MLS® logo are owned by CREA and identify the quality of services provided by real estate professionals who are members of CREA;
The information contained on this site is based in whole or in part on information that is provided by members of CREA, who are responsible for its accuracy. CREA reproduces and distributes this information as a service for its members and assumes no responsibility for its accuracy;
This website is operated by a brokerage or salesperson who is a member of CREA;
The listing content on this website is protected by copyright and other laws, and is intended solely for the private, non-commercial use by individuals. Any other reproduction, distribution or use of the content, in whole or in part, is specifically forbidden. The prohibited uses include commercial use, "screen scraping", "database scraping", and any other activity intended to collect, store, reorganize or manipulate data on the pages produced by or displayed on this website.
The information contained on this site is based in whole or in part on information that is provided under copyright by the Toronto Regional Real Estate Board (TRREB) or by members of The Canadian Real Estate Association (CREA), who are responsible for its accuracy. TRREB and CREA reproduce and distribute this information as a service for their members and assume no responsibility for its accuracy. All information displayed is believed to be accurate but is not guaranteed and should be independently verified. No warranties or representations of any kind are made with respect to the accuracy of such information. The information provided herein must only be used by consumers that have a bona fide interest in the purchase, sale, or lease of real estate and may not be used for any commercial purpose or any other purpose.