Welcome to the Bassano Large Lot Subdivision, where the beauty of nature meets the freedom to build your dream home and business. Bassano is a hidden gem, offering scenic nature, abundant outdoor activities, and the charm of a community that’s growing while preserving its rich character. Spend your days by the dam, explore the nearby Crawling Valley Reservoir and campground, or paddle along endless canals. Enjoy the town's outdoor pool, a local arena, and a downtown that's being revitalized to blend modern convenience with timeless appeal. This development features a total of 12 lots for sale, ranging from 1.7 acres to 3.22 acres, with water, gas, and power run to the lot line—making these lots ready to go for your dream build. Priced at just $60,000 per acre, this is an unbeatable value for such spacious and well-equipped property. As an added incentive, enjoy a 3-year tax rebate to make your investment even more rewarding! Perfect for business owners, this subdivision offers the flexibility to operate home-based businesses. Whether you’re running small shops, trucking and servicing businesses, or supporting local industries, this is the ideal location for your venture. With secondary and backyard suites permitted, this development also addresses Bassano’s growing demand for housing. Families will love the convenience of a K-12 school right in town, making it easy to settle in and enjoy all that Bassano has to offer. Own an acreage in town and take advantage of this rare opportunity to live, work, and thrive in a vibrant, expanding community! (id:47421)
Interested in obtaining the full price history for this property? Contact us!Contact us! Our real estate professionals would be happy to provide a complete listing history with historical sold prices and dates.
Detailed Information
Listing Contract Date
2025-07-18
Municipal ID
0040384281
Ownership Type
Freehold
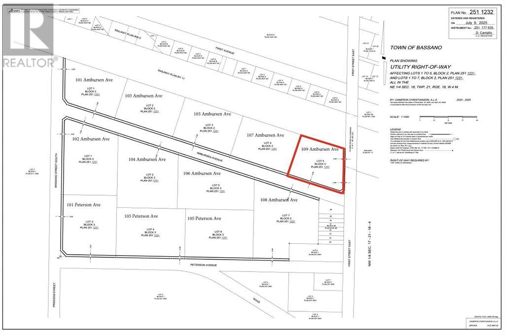
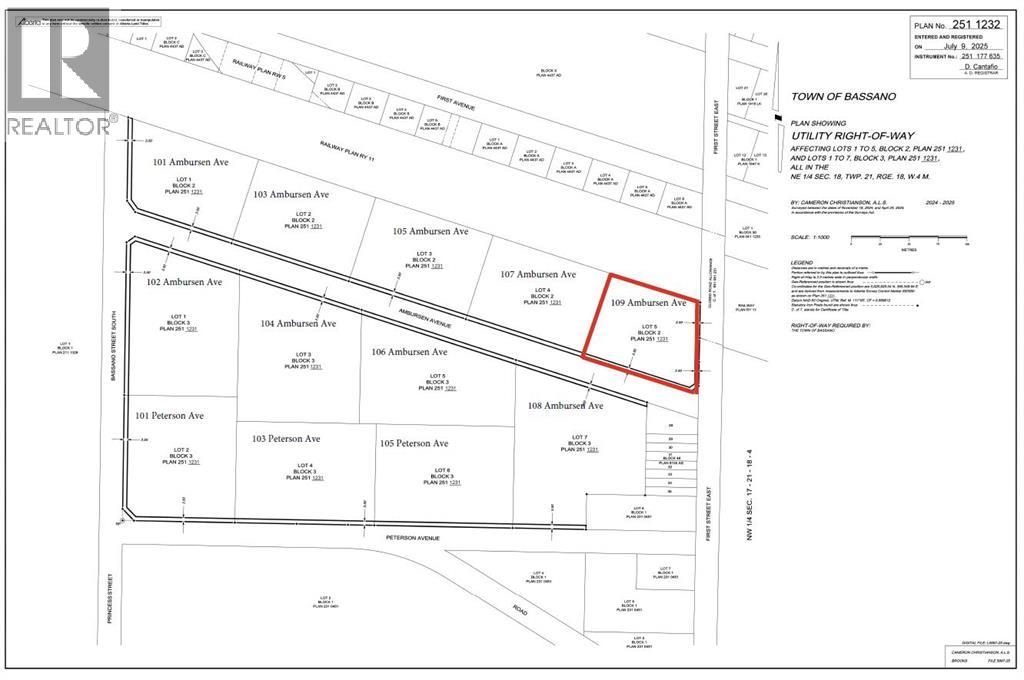
Plan
2511231
Property Type
Vacant Land
Transaction Type
For sale
Zoning Description
R3
Building
Age
Age is unknown
Land
Total Size
1.75 acres
Acreage
Yes
Fence Type
Not fenced
Size of Irregular Land
1.75
Terms of Use
Please review and agree to the following terms of use to access the listing content:
REALTOR®, REALTORS®, and the REALTOR® logo are certification marks that are owned by REALTOR® Canada Inc. and licensed exclusively to The Canadian Real Estate Association (CREA). These certification marks identify real estate professionals who are members of CREA and who must abide by CREA's By-Laws, Rules, and the REALTOR® Code. The MLS® trademark and the MLS® logo are owned by CREA and identify the quality of services provided by real estate professionals who are members of CREA;
The information contained on this site is based in whole or in part on information that is provided by members of CREA, who are responsible for its accuracy. CREA reproduces and distributes this information as a service for its members and assumes no responsibility for its accuracy;
This website is operated by a brokerage or salesperson who is a member of CREA;
The listing content on this website is protected by copyright and other laws, and is intended solely for the private, non-commercial use by individuals. Any other reproduction, distribution or use of the content, in whole or in part, is specifically forbidden. The prohibited uses include commercial use, "screen scraping", "database scraping", and any other activity intended to collect, store, reorganize or manipulate data on the pages produced by or displayed on this website.
The information contained on this site is based in whole or in part on information that is provided under copyright by the Toronto Regional Real Estate Board (TRREB) or by members of The Canadian Real Estate Association (CREA), who are responsible for its accuracy. TRREB and CREA reproduce and distribute this information as a service for their members and assume no responsibility for its accuracy. All information displayed is believed to be accurate but is not guaranteed and should be independently verified. No warranties or representations of any kind are made with respect to the accuracy of such information. The information provided herein must only be used by consumers that have a bona fide interest in the purchase, sale, or lease of real estate and may not be used for any commercial purpose or any other purpose.