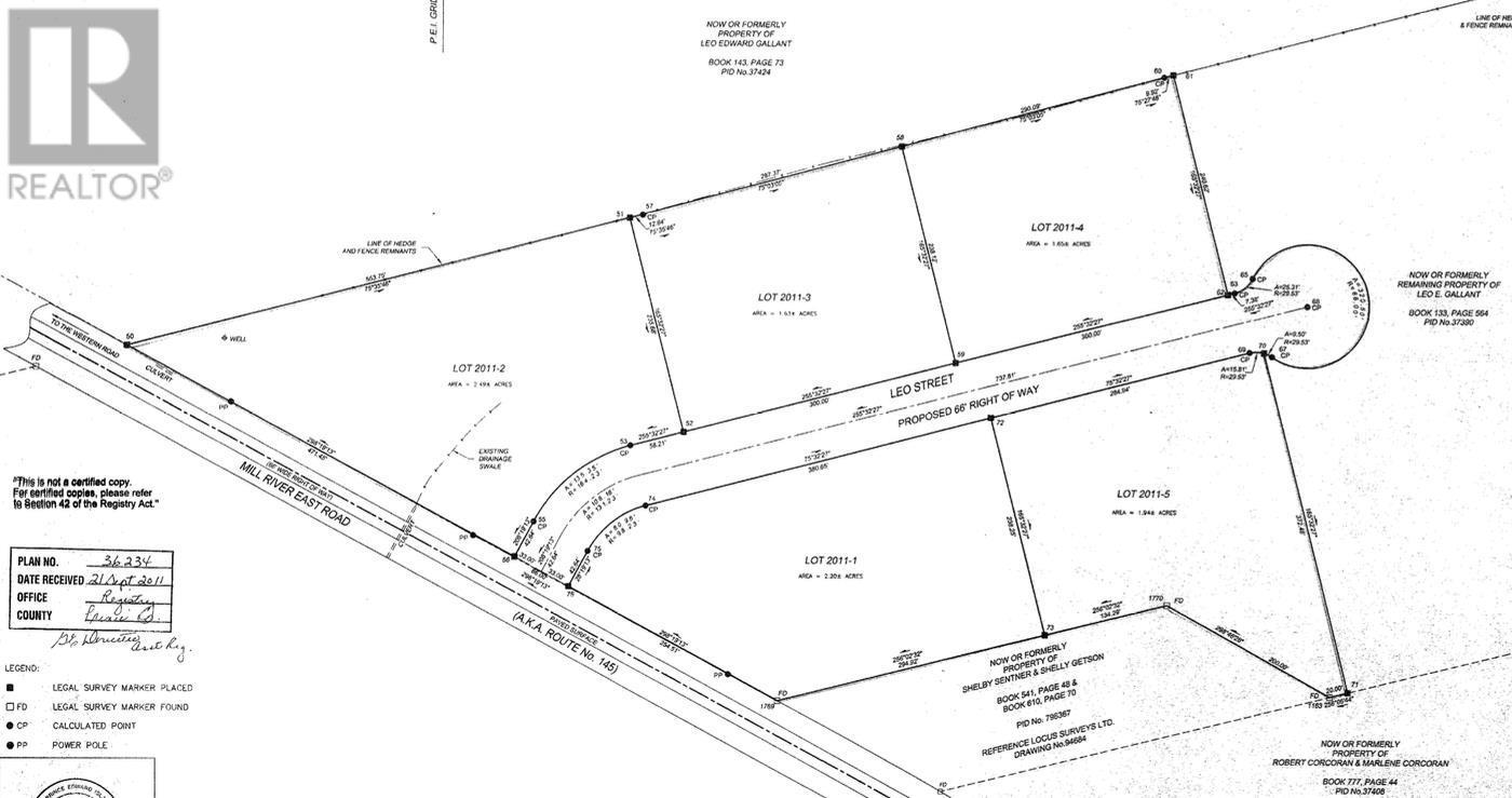
Peaceful 2.2 acre country property near everything you need. Discover the perfect blend of country tranquility and modern convenience with this 2.2 acre cleared lot, ready for your dream home. Set back from the road with a circular driveway, this property offers plenty of space for your home, gardens, or even a workshop ? while still maintaining the peaceful privacy of rural living. The land has been cleared and prepped, and the Category 2 perc test means your future home site is ready for easy septic planning. With gentle terrain and plenty of open space, this property offers flexibility for a variety of home designs. Located just minutes from local shops, restaurants, golf courses, and stunning beaches, you?ll enjoy the best of both worlds ? quiet country living with everyday conveniences close by. Whether you?re looking to build now or invest for the future, this property provides a rare opportunity to own a beautiful piece of countryside with excellent accessibility. Don?t miss your chance to create your ideal retreat. Please note: Tax and Assessment values are to be determined. (id:47421)
Interested in obtaining the full price history for this property? Contact us!Contact us! Our real estate professionals would be happy to provide a complete listing history with historical sold prices and dates.
Detailed Information
Property Easement
None
Features
Level lot
Listing Contract Date
2025-11-11
Location Description
RTE 2 West, right on Mill River Road E-property is on the left
Municipal ID
1086784 P/O
Ownership Type
Freehold
Property Type
Vacant Land
Transaction Type
For sale
Building
Utility Water
Drilled Well
Land
Total Size
2.2 acres
Access Type
Year-round access
Acreage
Yes
Disposition Features
Cleared
Sewer
No sewage system
Size of Irregular Land
2.2
Terms of Use
Please review and agree to the following terms of use to access the listing content:
REALTOR®, REALTORS®, and the REALTOR® logo are certification marks that are owned by REALTOR® Canada Inc. and licensed exclusively to The Canadian Real Estate Association (CREA). These certification marks identify real estate professionals who are members of CREA and who must abide by CREA's By-Laws, Rules, and the REALTOR® Code. The MLS® trademark and the MLS® logo are owned by CREA and identify the quality of services provided by real estate professionals who are members of CREA;
The information contained on this site is based in whole or in part on information that is provided by members of CREA, who are responsible for its accuracy. CREA reproduces and distributes this information as a service for its members and assumes no responsibility for its accuracy;
This website is operated by a brokerage or salesperson who is a member of CREA;
The listing content on this website is protected by copyright and other laws, and is intended solely for the private, non-commercial use by individuals. Any other reproduction, distribution or use of the content, in whole or in part, is specifically forbidden. The prohibited uses include commercial use, "screen scraping", "database scraping", and any other activity intended to collect, store, reorganize or manipulate data on the pages produced by or displayed on this website.
The information contained on this site is based in whole or in part on information that is provided under copyright by the Toronto Regional Real Estate Board (TRREB) or by members of The Canadian Real Estate Association (CREA), who are responsible for its accuracy. TRREB and CREA reproduce and distribute this information as a service for their members and assume no responsibility for its accuracy. All information displayed is believed to be accurate but is not guaranteed and should be independently verified. No warranties or representations of any kind are made with respect to the accuracy of such information. The information provided herein must only be used by consumers that have a bona fide interest in the purchase, sale, or lease of real estate and may not be used for any commercial purpose or any other purpose.