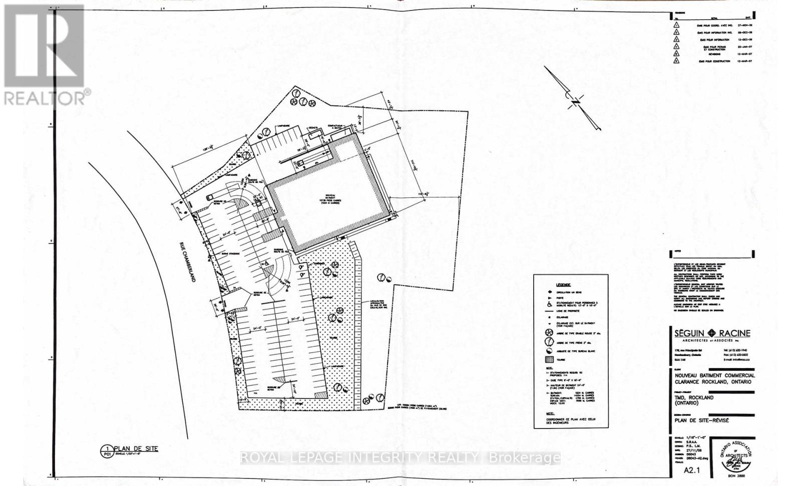
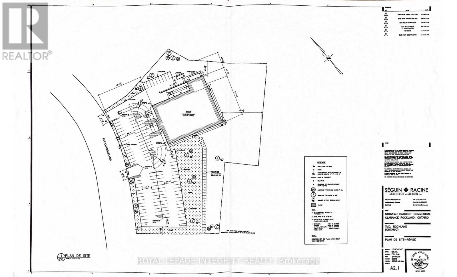
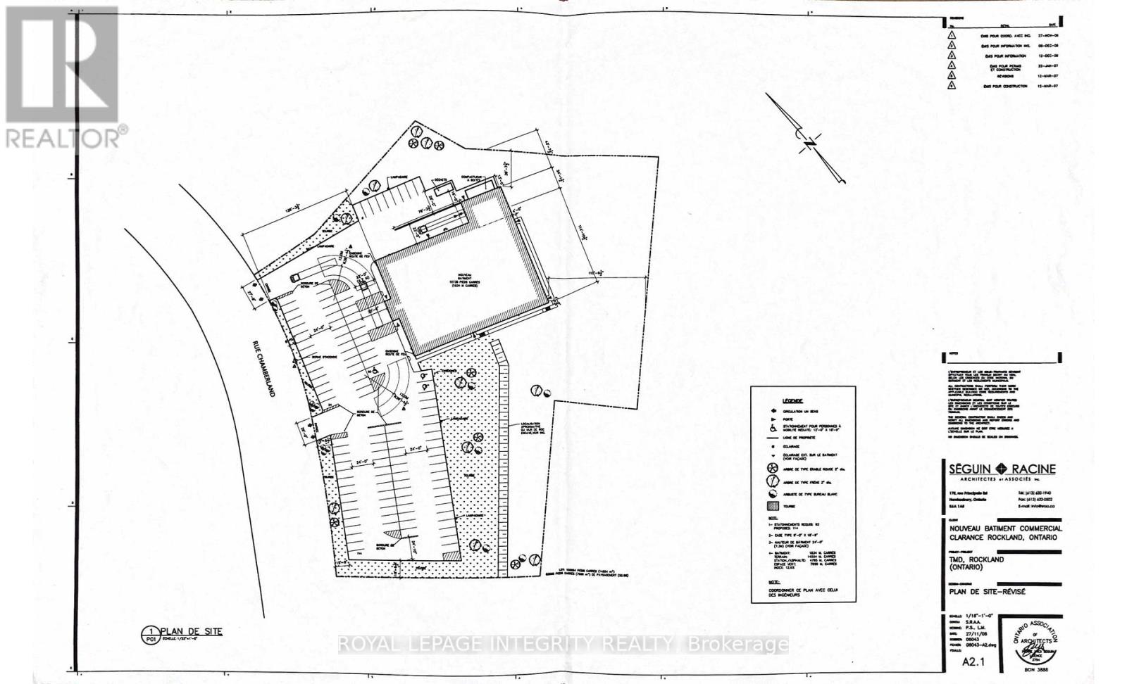
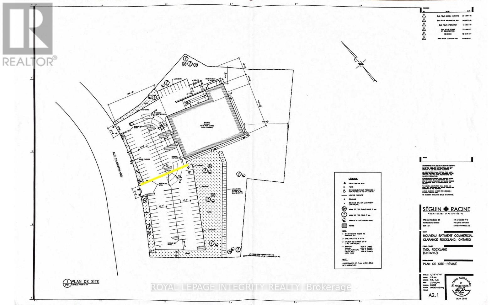
High-traffic freestanding retail/industrial building on ~2.5 acres in the growing community of Clarence-Rockland, ideally positioned to serve Ottawa and the Prescott-Russell region. The area is experiencing strong population growth, expanding residential development, and limited supply of large-format commercial space. Built in 2007, this fully serviced property features site lighting and approximately 60 paved parking spaces. The building totals 22,278 sq. ft., including 19,708 sq. ft. on the ground floor with a showroom offering an impressive 21-ft clear height and a 56-ft column span for flexible layouts. The second floor (2,569 sq. ft.) includes three offices, a boardroom, two washrooms, and a kitchenette. Additional ground floor space beneath the mezzanine includes washrooms, an electrical room, and storage.The property is equipped with a large drive-in side door and a rear loading dock. The loading ramp, originally designed for high-dock access, has been filled to grade but can be reinstated. Currently vacant, this property is ideal for an owner-user or investor. Commercial-Industrial zoning permits a wide range of uses including retail, warehouse, automotive, outdoor storage, and office. Sale subject to severance at the seller's cost to separate the adjacent 1.13-acre parcel with 55 parking spaces, also available for $999,999. The expansive parcel also offers additional development potential, capable of accommodating new retail or industrial construction, subject to approvals. The building area must be sold first, and may be sold with or without the lot. (id:47421)
Interested in obtaining the full price history for this property? Contact us!Contact us! Our real estate professionals would be happy to provide a complete listing history with historical sold prices and dates.
Detailed Information
Bathrooms
4
Lot
349.33 x 388.75 ft
Features
Irregular lot size
Listing Contract Date
2026-01-22
Location Description
Cross Streets: Hwy 17. ** Directions: From Highway 17 Turn South onto Chamberland Street and the property is on the left side of the street.
Property Type
Retail
Transaction Type
For sale
Zoning Description
Commercial Industrial
Building
Cooling Type
Fully air conditioned
Heating Fuel
Natural gas
Heating Type
Forced air
Utility Water
Municipal water
Land
Total Size
22278 acres
Acreage
Yes
Size of Irregular Land
22278
Terms of Use
Please review and agree to the following terms of use to access the listing content:
REALTOR®, REALTORS®, and the REALTOR® logo are certification marks that are owned by REALTOR® Canada Inc. and licensed exclusively to The Canadian Real Estate Association (CREA). These certification marks identify real estate professionals who are members of CREA and who must abide by CREA's By-Laws, Rules, and the REALTOR® Code. The MLS® trademark and the MLS® logo are owned by CREA and identify the quality of services provided by real estate professionals who are members of CREA;
The information contained on this site is based in whole or in part on information that is provided by members of CREA, who are responsible for its accuracy. CREA reproduces and distributes this information as a service for its members and assumes no responsibility for its accuracy;
This website is operated by a brokerage or salesperson who is a member of CREA;
The listing content on this website is protected by copyright and other laws, and is intended solely for the private, non-commercial use by individuals. Any other reproduction, distribution or use of the content, in whole or in part, is specifically forbidden. The prohibited uses include commercial use, "screen scraping", "database scraping", and any other activity intended to collect, store, reorganize or manipulate data on the pages produced by or displayed on this website.
The information contained on this site is based in whole or in part on information that is provided under copyright by the Toronto Regional Real Estate Board (TRREB) or by members of The Canadian Real Estate Association (CREA), who are responsible for its accuracy. TRREB and CREA reproduce and distribute this information as a service for their members and assume no responsibility for its accuracy. All information displayed is believed to be accurate but is not guaranteed and should be independently verified. No warranties or representations of any kind are made with respect to the accuracy of such information. The information provided herein must only be used by consumers that have a bona fide interest in the purchase, sale, or lease of real estate and may not be used for any commercial purpose or any other purpose.