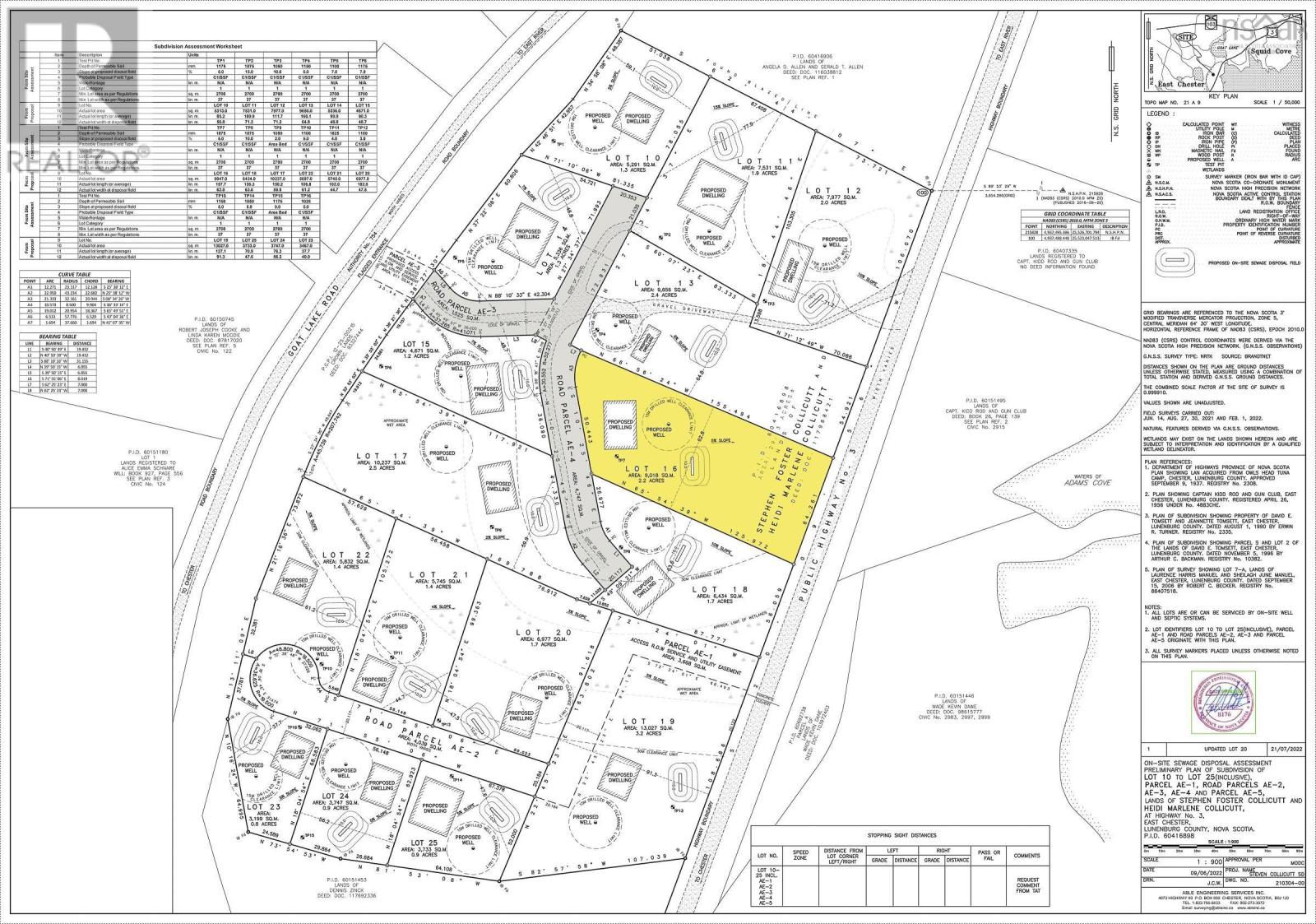
Parker Ridge Road, Lot 16, in East Chester, boasts elevated southern ocean views towards Aspotogan Peninsula, Snake / Tancook Islands, the waters of Mahone Bay and beyond. The sloping 2.2 acre lot is treed and the new house site has been located on the survey. The septic permit is in place. The power poles & lines have been installed. The subdivision approval is inplace and the covenants are registered. Start making the wish list for the design of your new dream home, in sheltered Parker Ridge. *Internet will be supplied by Eastlink upon installation. Parker Ridge is a quiet, rural setting, minutes to Exit 7 for Highway 103 commuters, and 5 minutes to the village of Chester. It's also very close to Graves Island Provincial Park's boat launch, small beach and nature trails. This is a dog walkers' paradise ! Enjoy the Island's ocean views as well as the wild roses, ferns and moss covered rocks. The Rails to Trails are also in the neighbourhood, for walkers / bikers. Chester offers a wonderful village way of life, with a seaside golf club, yacht club, Art Centre, Playhouse, Our Health Centre, Day Care, playground, interesting shops / cafes and more, less than 50 minutes to Halifax, 30 minutes to Bridgewater, on Nova Scotia's treasured South Shore, the Bluenose Coast. (id:47421)
Interested in obtaining the full price history for this property? Contact us!Contact us! Our real estate professionals would be happy to provide a complete listing history with historical sold prices and dates.
Detailed Information
Features
Treed, Partially cleared, Softwood bush
Listing Contract Date
2023-04-25
Location Description
Between Goat Lake and Scotch Cove Road, accessed off Goat Lake Road.
Municipal ID
60730108
Ownership Type
Freehold
Property Type
Vacant Land
Transaction Type
For sale
Views
Ocean view, View of water
Building
Utility Water
None
Land
Total Size
2.2 acres
Acreage
Yes
Sewer
No sewage system
Size of Irregular Land
2.2
Terms of Use
Please review and agree to the following terms of use to access the listing content:
REALTOR®, REALTORS®, and the REALTOR® logo are certification marks that are owned by REALTOR® Canada Inc. and licensed exclusively to The Canadian Real Estate Association (CREA). These certification marks identify real estate professionals who are members of CREA and who must abide by CREA's By-Laws, Rules, and the REALTOR® Code. The MLS® trademark and the MLS® logo are owned by CREA and identify the quality of services provided by real estate professionals who are members of CREA;
The information contained on this site is based in whole or in part on information that is provided by members of CREA, who are responsible for its accuracy. CREA reproduces and distributes this information as a service for its members and assumes no responsibility for its accuracy;
This website is operated by a brokerage or salesperson who is a member of CREA;
The listing content on this website is protected by copyright and other laws, and is intended solely for the private, non-commercial use by individuals. Any other reproduction, distribution or use of the content, in whole or in part, is specifically forbidden. The prohibited uses include commercial use, "screen scraping", "database scraping", and any other activity intended to collect, store, reorganize or manipulate data on the pages produced by or displayed on this website.
The information contained on this site is based in whole or in part on information that is provided under copyright by the Toronto Regional Real Estate Board (TRREB) or by members of The Canadian Real Estate Association (CREA), who are responsible for its accuracy. TRREB and CREA reproduce and distribute this information as a service for their members and assume no responsibility for its accuracy. All information displayed is believed to be accurate but is not guaranteed and should be independently verified. No warranties or representations of any kind are made with respect to the accuracy of such information. The information provided herein must only be used by consumers that have a bona fide interest in the purchase, sale, or lease of real estate and may not be used for any commercial purpose or any other purpose.