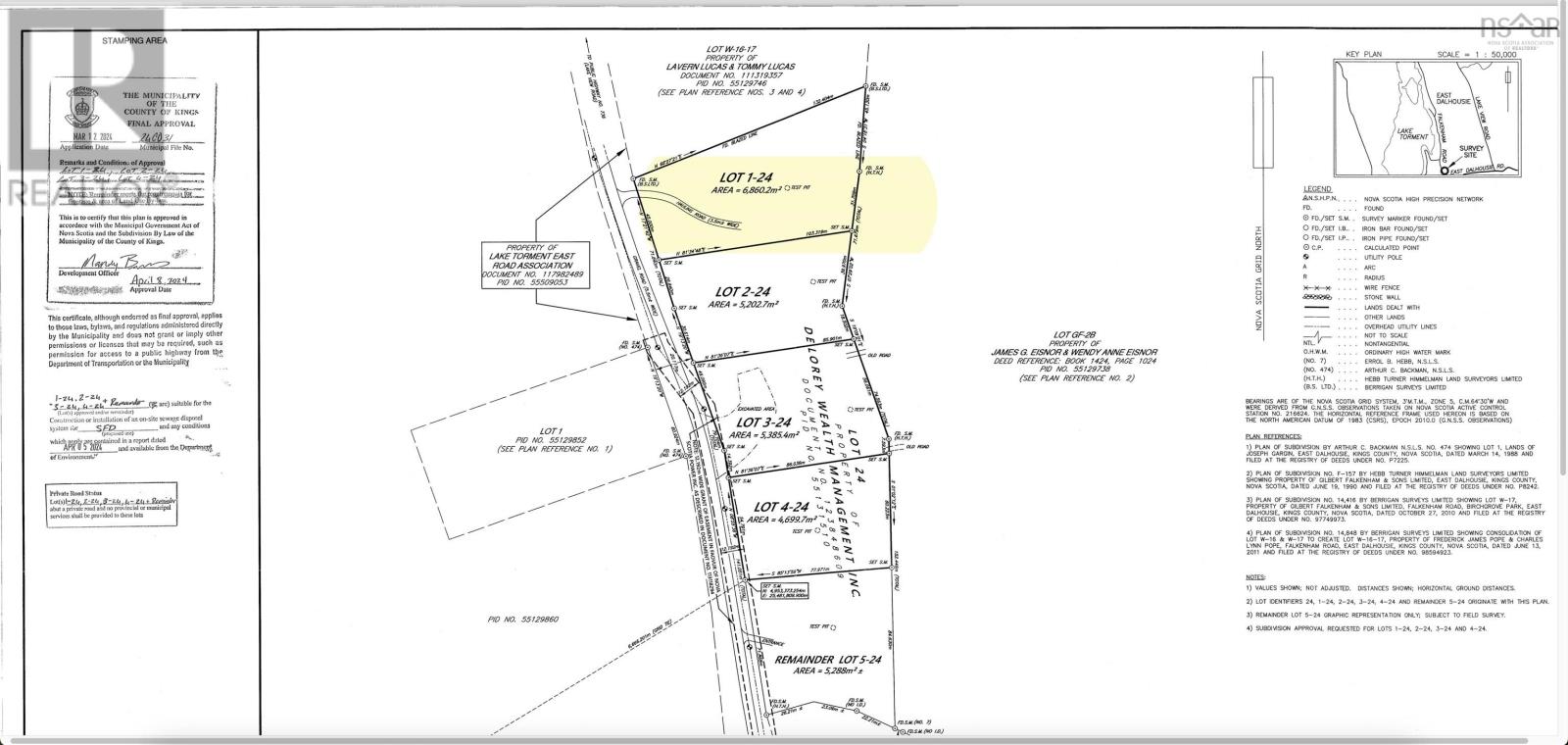
Seize the opportunity to create your own retreat in the picturesque Cottage Country of Lake Torment! This approved building lot spans 1.7 acres with a Culvert & Driveway already in place, you could start enjoying the property righ away. Imagine waking up to the serene beauty of nature with lake access at four points, perfect for swimming, fishing, kayaking, Boating or simply soaking in natures tranquility. This lot is septic approved, migrated and the location has fibre op internet and is conveniently located within walking distance to a convenience store, featuring gas, laundromat, and grill, ensuring you have all the essential amenities at your fingertips. Whether youre looking for a summer getaway or a permanent residence, this idyllic setting invites you to embrace the laid-back lifestyle youve always desired. Enjoy the easy access to ATV and snowmobile trails, biking, hiking, or long walks along the trails. Dont miss out on this opportunity to start enjoying Lake Torment! (id:47421)
Interested in obtaining the full price history for this property? Contact us!Contact us! Our real estate professionals would be happy to provide a complete listing history with historical sold prices and dates.
Detailed Information
Features
Partially cleared
Listing Contract Date
2025-09-15
Location Description
Turn right before Convenience in the woods store, in East Dalhousie to Falkenham Road, cross the bridge, lots on your right directly across from 77 Falkenham Rd
Municipal ID
55553143
Ownership Type
Freehold
Property Type
Vacant Land
Transaction Type
For sale
Building
Utility Water
None
Parking Spaces
Name
Spaces
Other
Land
Total Size
1.6958 acres
Acreage
Yes
Sewer
No sewage system
Size of Irregular Land
1.6958
Terms of Use
Please review and agree to the following terms of use to access the listing content:
REALTOR®, REALTORS®, and the REALTOR® logo are certification marks that are owned by REALTOR® Canada Inc. and licensed exclusively to The Canadian Real Estate Association (CREA). These certification marks identify real estate professionals who are members of CREA and who must abide by CREA's By-Laws, Rules, and the REALTOR® Code. The MLS® trademark and the MLS® logo are owned by CREA and identify the quality of services provided by real estate professionals who are members of CREA;
The information contained on this site is based in whole or in part on information that is provided by members of CREA, who are responsible for its accuracy. CREA reproduces and distributes this information as a service for its members and assumes no responsibility for its accuracy;
This website is operated by a brokerage or salesperson who is a member of CREA;
The listing content on this website is protected by copyright and other laws, and is intended solely for the private, non-commercial use by individuals. Any other reproduction, distribution or use of the content, in whole or in part, is specifically forbidden. The prohibited uses include commercial use, "screen scraping", "database scraping", and any other activity intended to collect, store, reorganize or manipulate data on the pages produced by or displayed on this website.
The information contained on this site is based in whole or in part on information that is provided under copyright by the Toronto Regional Real Estate Board (TRREB) or by members of The Canadian Real Estate Association (CREA), who are responsible for its accuracy. TRREB and CREA reproduce and distribute this information as a service for their members and assume no responsibility for its accuracy. All information displayed is believed to be accurate but is not guaranteed and should be independently verified. No warranties or representations of any kind are made with respect to the accuracy of such information. The information provided herein must only be used by consumers that have a bona fide interest in the purchase, sale, or lease of real estate and may not be used for any commercial purpose or any other purpose.