Exceptional opportunity for investors and developers! This large residential lot offers excellent potential for subdivision into multiple lots, making it ideal for future development. Perfectly located near all services in the city of Edmundston, this property combines convenience with strong investment potential. Dont miss out on this rare opportunity to maximize value in a growing area! --- Occasion exceptionnelle pour investisseurs et promoteurs ! Ce vaste terrain résidentiel offre un excellent potentiel de subdivision en plusieurs lots, idéal pour un projet de développement. Idéalement situé à proximité de tous les services de la ville d'Edmundston, ce terrain combine emplacement stratégique et fort potentiel de valorisation. Une opportunité rare à saisir pour maximiser votre investissement! (id:47421)
Interested in obtaining the full price history for this property? Contact us!Contact us! Our real estate professionals would be happy to provide a complete listing history with historical sold prices and dates.
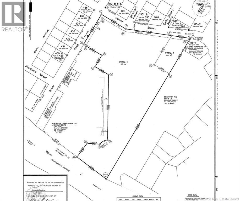
Detailed Information
Features
Corner Site, Visual exposure
Location Description
Located on Rue Carrier in Edmunston, close to highway 2.
Municipal ID
35356849
Ownership Type
Freehold
Property Type
Vacant Land
Structures
None
Transaction Type
For sale
Building
Utility Water
None
Land
Total Size
9.16 acres
Access Type
Year-round access, Public Road
Acreage
Yes
Sewer
No sewage system
Size of Irregular Land
9.16
Soil Type
Unknown
Terms of Use
Please review and agree to the following terms of use to access the listing content:
REALTOR®, REALTORS®, and the REALTOR® logo are certification marks that are owned by REALTOR® Canada Inc. and licensed exclusively to The Canadian Real Estate Association (CREA). These certification marks identify real estate professionals who are members of CREA and who must abide by CREA's By-Laws, Rules, and the REALTOR® Code. The MLS® trademark and the MLS® logo are owned by CREA and identify the quality of services provided by real estate professionals who are members of CREA;
The information contained on this site is based in whole or in part on information that is provided by members of CREA, who are responsible for its accuracy. CREA reproduces and distributes this information as a service for its members and assumes no responsibility for its accuracy;
This website is operated by a brokerage or salesperson who is a member of CREA;
The listing content on this website is protected by copyright and other laws, and is intended solely for the private, non-commercial use by individuals. Any other reproduction, distribution or use of the content, in whole or in part, is specifically forbidden. The prohibited uses include commercial use, "screen scraping", "database scraping", and any other activity intended to collect, store, reorganize or manipulate data on the pages produced by or displayed on this website.
The information contained on this site is based in whole or in part on information that is provided under copyright by the Toronto Regional Real Estate Board (TRREB) or by members of The Canadian Real Estate Association (CREA), who are responsible for its accuracy. TRREB and CREA reproduce and distribute this information as a service for their members and assume no responsibility for its accuracy. All information displayed is believed to be accurate but is not guaranteed and should be independently verified. No warranties or representations of any kind are made with respect to the accuracy of such information. The information provided herein must only be used by consumers that have a bona fide interest in the purchase, sale, or lease of real estate and may not be used for any commercial purpose or any other purpose.