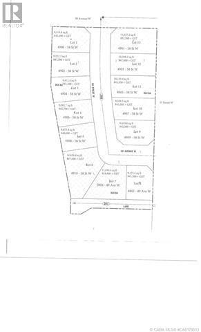
Welcome to Forestburg's New Subdivision containing 13 residential lots ready to build on. These lots are located on the West side of the Village close to the golf course, community centre and RV park. Forestburg is a community within Flagstaff County located 45 min East of Stettler and 55 minutes South East of Camrose. This community offers affordable living with all the amenities and services within the Village such as K-12 school, 9 hole golf course and curling rink, the only outdoor pool in the County, tennis courts, 2 arenas, 1 for riding horses and the other for hockey and figure skating. The Village also offers numerous restaurant choices, hardware store, insurance and registry services, doctors, dentist, chiropractor, yoga and so much more. Take a short drive and see what this great community has to offer. All services are at the lot line, taxes to be assessed yet. GST applicable (id:47421)
Share
Listed By
Royal Lepage Rose Country Realty, Coldwell Banker OnTrack Realty
Interested in obtaining the full price history for this property? Contact us!Contact us! Our real estate professionals would be happy to provide a complete listing history with historical sold prices and dates.
Detailed Information
Features
Level
Listing Contract Date
2019-07-29
Municipal ID
0038348942
Ownership Type
Freehold
Plan
1921753
Property Type
Vacant Land
Transaction Type
For sale
Zoning Description
R
Building
Age
Age is unknown
Appliances
None
Foundation Type
See Remarks
Parking Spaces
Name
Spaces
None
Land
Total Size
9514.8 square feet
Sewer
Municipal sewage system
Size of Irregular Land
9514.80
Terms of Use
Please review and agree to the following terms of use to access the listing content:
REALTOR®, REALTORS®, and the REALTOR® logo are certification marks that are owned by REALTOR® Canada Inc. and licensed exclusively to The Canadian Real Estate Association (CREA). These certification marks identify real estate professionals who are members of CREA and who must abide by CREA's By-Laws, Rules, and the REALTOR® Code. The MLS® trademark and the MLS® logo are owned by CREA and identify the quality of services provided by real estate professionals who are members of CREA;
The information contained on this site is based in whole or in part on information that is provided by members of CREA, who are responsible for its accuracy. CREA reproduces and distributes this information as a service for its members and assumes no responsibility for its accuracy;
This website is operated by a brokerage or salesperson who is a member of CREA;
The listing content on this website is protected by copyright and other laws, and is intended solely for the private, non-commercial use by individuals. Any other reproduction, distribution or use of the content, in whole or in part, is specifically forbidden. The prohibited uses include commercial use, "screen scraping", "database scraping", and any other activity intended to collect, store, reorganize or manipulate data on the pages produced by or displayed on this website.
The information contained on this site is based in whole or in part on information that is provided under copyright by the Toronto Regional Real Estate Board (TRREB) or by members of The Canadian Real Estate Association (CREA), who are responsible for its accuracy. TRREB and CREA reproduce and distribute this information as a service for their members and assume no responsibility for its accuracy. All information displayed is believed to be accurate but is not guaranteed and should be independently verified. No warranties or representations of any kind are made with respect to the accuracy of such information. The information provided herein must only be used by consumers that have a bona fide interest in the purchase, sale, or lease of real estate and may not be used for any commercial purpose or any other purpose.