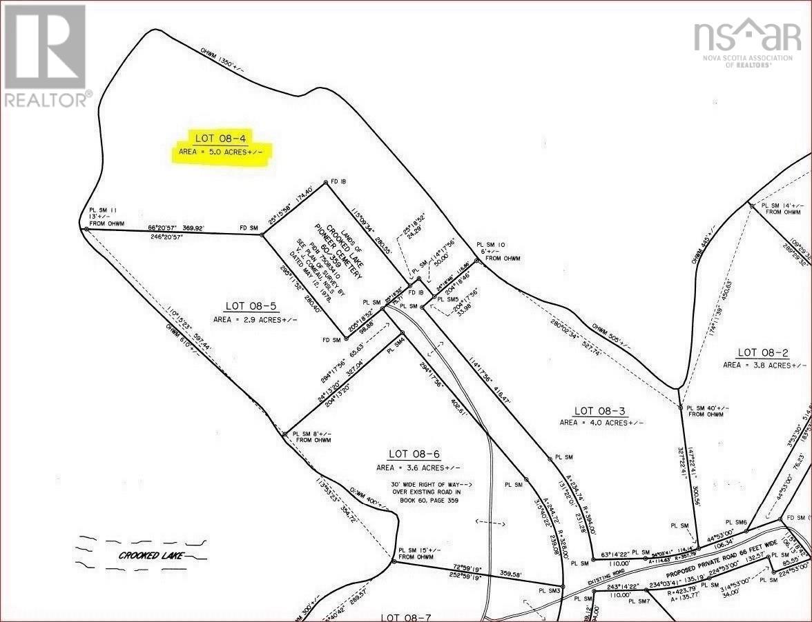
Discover the ultimate private retreat on 5 acres of pristine land, boasting 1350 feet of shoreline on a freshwater lake at the end of Cemetery Rd, Crooked Lake. Perfect for fishing, ATV adventures, and any nature enthusiast, this secluded property offers an off-grid lifestyle, as electricity is not nearby. Just minutes away, explore Morrison (Framboise) Beach, one of Cape Breton's hidden gems of sandy shores at the end of Crooked Lake Rd. It's Beautiful!! Alternatively, paddle from your property to the Framboise River, where you can journey miles upstream, around lakes, or even cross into the ocean. The land is registered, and NS Environment comments the lot is suitable for on-site sewage (permit required). *Shown in Listing Pictures* Current Benefit Right-Of-Way Deeded Access for "existing road", please see listing pictures for more information. For full listing details with drone footage go to Realtor.ca MLS#202421000 Latitude/Longitude (copy paste into browser to see on maps >) 45.702490°, -60.341591° (id:47421)
Interested in obtaining the full price history for this property? Contact us!Contact us! Our real estate professionals would be happy to provide a complete listing history with historical sold prices and dates.
Detailed Information
Features
Treed, Hardwood bush, Softwood bush
Listing Contract Date
2024-08-29
Location Description
Fleur-de-lis Trail/St Peters Fourchu Rd to Crooked Lake Rd in Framboise, heading to the ocean on Crooked Lake Rd, from just before you get to the beach, turn left, one-way dirt road. Drive to the end, park to the right. Look for the sign. Using Google Maps - Latitude/Longitude 45.702490°, -60.341591°
Municipal ID
75198374
Ownership Type
Freehold
Property Type
Vacant Land
Transaction Type
For sale
Views
Lake view
Waterfront Type
Waterfront on lake
Building
Utility Water
None
Parking Spaces
Name
Spaces
None
Land
Total Size
5 acres
Acreage
Yes
Sewer
No sewage system
Size of Irregular Land
5
Terms of Use
Please review and agree to the following terms of use to access the listing content:
REALTOR®, REALTORS®, and the REALTOR® logo are certification marks that are owned by REALTOR® Canada Inc. and licensed exclusively to The Canadian Real Estate Association (CREA). These certification marks identify real estate professionals who are members of CREA and who must abide by CREA's By-Laws, Rules, and the REALTOR® Code. The MLS® trademark and the MLS® logo are owned by CREA and identify the quality of services provided by real estate professionals who are members of CREA;
The information contained on this site is based in whole or in part on information that is provided by members of CREA, who are responsible for its accuracy. CREA reproduces and distributes this information as a service for its members and assumes no responsibility for its accuracy;
This website is operated by a brokerage or salesperson who is a member of CREA;
The listing content on this website is protected by copyright and other laws, and is intended solely for the private, non-commercial use by individuals. Any other reproduction, distribution or use of the content, in whole or in part, is specifically forbidden. The prohibited uses include commercial use, "screen scraping", "database scraping", and any other activity intended to collect, store, reorganize or manipulate data on the pages produced by or displayed on this website.
The information contained on this site is based in whole or in part on information that is provided under copyright by the Toronto Regional Real Estate Board (TRREB) or by members of The Canadian Real Estate Association (CREA), who are responsible for its accuracy. TRREB and CREA reproduce and distribute this information as a service for their members and assume no responsibility for its accuracy. All information displayed is believed to be accurate but is not guaranteed and should be independently verified. No warranties or representations of any kind are made with respect to the accuracy of such information. The information provided herein must only be used by consumers that have a bona fide interest in the purchase, sale, or lease of real estate and may not be used for any commercial purpose or any other purpose.