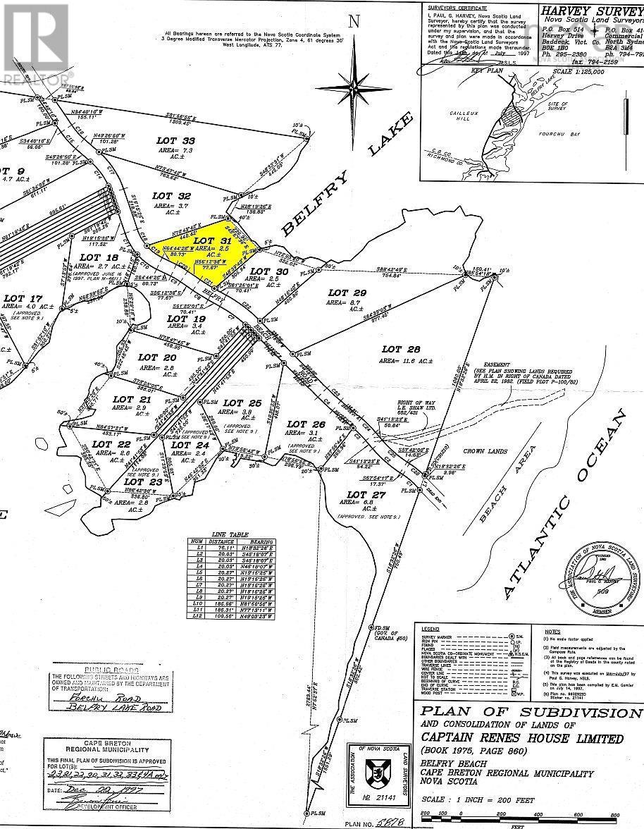
This lakeside property sits in a sheltered spot on Belfry Lake, Cape Breton, right off the public gravel Belfry Lake Road, which connects to the Atlantic Ocean. The approximately 2.5 Acre lot has been surveyed and is ready for immediate development. It boasts roughly 226 feet of private lakefront. The property is perfectly suited for water activities. You can even install a floating dock. From your own private shoreline, you can launch your paddle board/kayak/canoe, swim, and fish on the expansive lake. Numerous usage options are possible. You can build your dream house on the lot, or, after installing an access road and preparing the building site, initially use it for holiday stays with a tent or RV in the first few years. There is no building obligation. No restrictive covenants exist. The vast Gabarus Wilderness Area is in the immediate vicinity, and the beautiful Belfry Beach can be reached either by kayak/canoe from your private lakefront or on foot via Belfry Lake Road in just a few minutes. This wonderfully expansive beach is perfect for long walks or, of course, swimming. Sydney, with its extensive infrastructure, diverse shopping opportunities, restaurants, medical care and entertainment options, is only about 45 minutes away and easily accessible via well-developed roads. The neighbouring Lot 30 is also available if more land and lakefront is desired. (id:47421)
Interested in obtaining the full price history for this property? Contact us!Contact us! Our real estate professionals would be happy to provide a complete listing history with historical sold prices and dates.
Detailed Information
Features
Treed
Listing Contract Date
2025-12-16
Location Description
Fourshu Road to Belfry Road
Municipal ID
15687908
Ownership Type
Freehold
Property Type
Vacant Land
Transaction Type
For sale
Views
Lake view
Waterfront Type
Waterfront on lake
Building
Utility Water
None
Parking Spaces
Name
Spaces
None
Land
Total Size
2.5 acres
Acreage
Yes
Sewer
No sewage system
Size of Irregular Land
2.5
Terms of Use
Please review and agree to the following terms of use to access the listing content:
REALTOR®, REALTORS®, and the REALTOR® logo are certification marks that are owned by REALTOR® Canada Inc. and licensed exclusively to The Canadian Real Estate Association (CREA). These certification marks identify real estate professionals who are members of CREA and who must abide by CREA's By-Laws, Rules, and the REALTOR® Code. The MLS® trademark and the MLS® logo are owned by CREA and identify the quality of services provided by real estate professionals who are members of CREA;
The information contained on this site is based in whole or in part on information that is provided by members of CREA, who are responsible for its accuracy. CREA reproduces and distributes this information as a service for its members and assumes no responsibility for its accuracy;
This website is operated by a brokerage or salesperson who is a member of CREA;
The listing content on this website is protected by copyright and other laws, and is intended solely for the private, non-commercial use by individuals. Any other reproduction, distribution or use of the content, in whole or in part, is specifically forbidden. The prohibited uses include commercial use, "screen scraping", "database scraping", and any other activity intended to collect, store, reorganize or manipulate data on the pages produced by or displayed on this website.
The information contained on this site is based in whole or in part on information that is provided under copyright by the Toronto Regional Real Estate Board (TRREB) or by members of The Canadian Real Estate Association (CREA), who are responsible for its accuracy. TRREB and CREA reproduce and distribute this information as a service for their members and assume no responsibility for its accuracy. All information displayed is believed to be accurate but is not guaranteed and should be independently verified. No warranties or representations of any kind are made with respect to the accuracy of such information. The information provided herein must only be used by consumers that have a bona fide interest in the purchase, sale, or lease of real estate and may not be used for any commercial purpose or any other purpose.