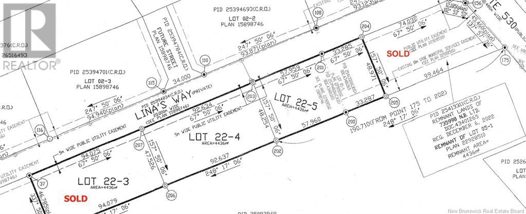
Experience the charm of Caissie Cape where natural beauty meets the perfect location! This one-acre lot on Linas Way, just off Route 530, is the ideal setting to build your forever home. Nestled among mature trees, the property offers both privacy and a strong connection to nature. One of its most appealing features is deeded beach access via Hectors Wayjust a short, relaxing 7-minute walk to one of the area's most beautiful sandy beaches. Caissie Cape is loved by both locals and visitors for its warm community feel, stunning coastal scenery, and relaxed lifestyle. Enjoy the perks of being close to the water without the added concerns of direct waterfront ownership. Nearby, you'll find a well-equipped marina for boating enthusiasts and Les Digues Market for your everyday needs. Plus, you're only a short drive to Cocagne and Shediac, offering even more amenities and attractions. Dont miss out on this rare opportunity to secure a prime lot in one of New Brunswicks most desirable coastal areas. Whether you're dreaming of a year-round residence or a seasonal escape, this location has everything you need to make it a reality. Contact today for more information. Please note: the lot is HST applicable (id:47421)
Interested in obtaining the full price history for this property? Contact us!Contact us! Our real estate professionals would be happy to provide a complete listing history with historical sold prices and dates.
Detailed Information
Features
Level lot, Treed
Municipal ID
25487885
Ownership Type
Freehold
Property Type
Vacant Land
Transaction Type
For sale
Views
Ocean view
Waterfront Name
Northumberland Straight
Building
Utility Water
None
Land
Total Size
4436 square meters
Access Type
Year-round access, Private Road
Acreage
Yes
Sewer
No sewage system
Size of Irregular Land
4436
Terms of Use
Please review and agree to the following terms of use to access the listing content:
REALTOR®, REALTORS®, and the REALTOR® logo are certification marks that are owned by REALTOR® Canada Inc. and licensed exclusively to The Canadian Real Estate Association (CREA). These certification marks identify real estate professionals who are members of CREA and who must abide by CREA's By-Laws, Rules, and the REALTOR® Code. The MLS® trademark and the MLS® logo are owned by CREA and identify the quality of services provided by real estate professionals who are members of CREA;
The information contained on this site is based in whole or in part on information that is provided by members of CREA, who are responsible for its accuracy. CREA reproduces and distributes this information as a service for its members and assumes no responsibility for its accuracy;
This website is operated by a brokerage or salesperson who is a member of CREA;
The listing content on this website is protected by copyright and other laws, and is intended solely for the private, non-commercial use by individuals. Any other reproduction, distribution or use of the content, in whole or in part, is specifically forbidden. The prohibited uses include commercial use, "screen scraping", "database scraping", and any other activity intended to collect, store, reorganize or manipulate data on the pages produced by or displayed on this website.
The information contained on this site is based in whole or in part on information that is provided under copyright by the Toronto Regional Real Estate Board (TRREB) or by members of The Canadian Real Estate Association (CREA), who are responsible for its accuracy. TRREB and CREA reproduce and distribute this information as a service for their members and assume no responsibility for its accuracy. All information displayed is believed to be accurate but is not guaranteed and should be independently verified. No warranties or representations of any kind are made with respect to the accuracy of such information. The information provided herein must only be used by consumers that have a bona fide interest in the purchase, sale, or lease of real estate and may not be used for any commercial purpose or any other purpose.