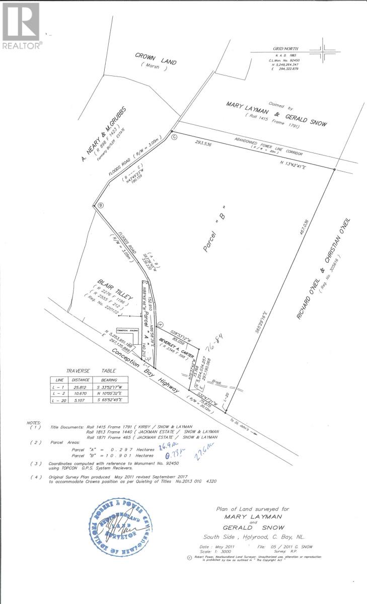
Property consists of two parcels of land the largest parcel ""B"" known civically as 76 - 84 consisting as 26.9 acres and Parcel ""A"" known civically as #90 Conception Bay Highway as 0.73 Acres. The 26.9 Acres has 248.9' along the Conception Bay Highway this would be perfect for development, presently zoned for Residential Small Lots, this would make a perfect location for a subdivision. 90 Conception Bay Highway has 84.6' frontage. Owners have had the title quieted including Crown Land Approval, so this parcel of land is ready to go. Owners are motivated to sell. (id:47421)
Interested in obtaining the full price history for this property? Contact us!Contact us! Our real estate professionals would be happy to provide a complete listing history with historical sold prices and dates.
Detailed Information
Listing Contract Date
2025-04-29
Ownership Type
Freehold
Property Type
Vacant Land
Transaction Type
For sale
Zoning Description
RSL
Building
Utility Water
Municipal water
Land
Total Size
27.6 Acres | 10 - 50 acres
Access Type
Year-round access
Acreage
Yes
Sewer
Municipal sewage system
Size of Irregular Land
27.6 Acres
Terms of Use
Please review and agree to the following terms of use to access the listing content:
REALTOR®, REALTORS®, and the REALTOR® logo are certification marks that are owned by REALTOR® Canada Inc. and licensed exclusively to The Canadian Real Estate Association (CREA). These certification marks identify real estate professionals who are members of CREA and who must abide by CREA's By-Laws, Rules, and the REALTOR® Code. The MLS® trademark and the MLS® logo are owned by CREA and identify the quality of services provided by real estate professionals who are members of CREA;
The information contained on this site is based in whole or in part on information that is provided by members of CREA, who are responsible for its accuracy. CREA reproduces and distributes this information as a service for its members and assumes no responsibility for its accuracy;
This website is operated by a brokerage or salesperson who is a member of CREA;
The listing content on this website is protected by copyright and other laws, and is intended solely for the private, non-commercial use by individuals. Any other reproduction, distribution or use of the content, in whole or in part, is specifically forbidden. The prohibited uses include commercial use, "screen scraping", "database scraping", and any other activity intended to collect, store, reorganize or manipulate data on the pages produced by or displayed on this website.
The information contained on this site is based in whole or in part on information that is provided under copyright by the Toronto Regional Real Estate Board (TRREB) or by members of The Canadian Real Estate Association (CREA), who are responsible for its accuracy. TRREB and CREA reproduce and distribute this information as a service for their members and assume no responsibility for its accuracy. All information displayed is believed to be accurate but is not guaranteed and should be independently verified. No warranties or representations of any kind are made with respect to the accuracy of such information. The information provided herein must only be used by consumers that have a bona fide interest in the purchase, sale, or lease of real estate and may not be used for any commercial purpose or any other purpose.