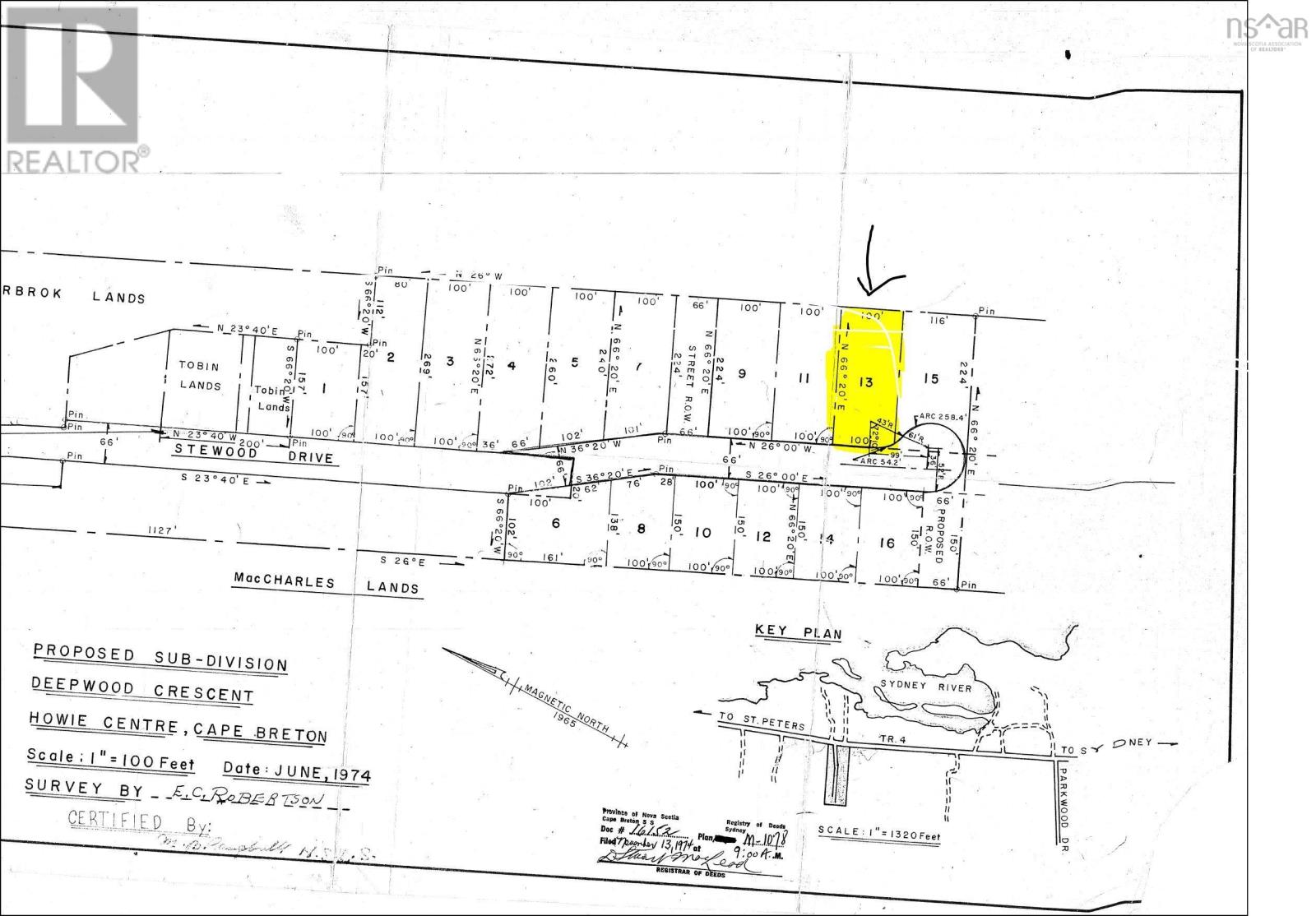
This 0.51-acre vacant lot is located in a quiet, well-established neighbourhood just off King's Road, within the desirable Stewood Drive subdivision. The lot is partially cleared and includes a driveway already installed, along with a previously approved septic permit, providing a strong head start for buyers planning to build. The property offers approximately 99 feet of road frontage, is zoned RR5 (One and Two Unit Rural Residential), and has power available at the roadside. An insulated shed is currently located on the property. The shed measures 8 ft x 12 ft and provides practical storage or workspace during future development. The Seller is willing to have the shed removed or relocated at their expense, if preferred by the Buyer. The rear of the property borders a community park. Mature trees surround the property, adding privacy and a natural setting, while nearby homes and well-maintained streets reflect pride of ownership throughout the area. Conveniently located just minutes from shopping, services, schools, and everyday amenities, this property offers an excellent balance of peaceful surroundings with urban convenience. Full listing details on Realtor.ca MLS® Number: 202601022 (id:47421)
Interested in obtaining the full price history for this property? Contact us!Contact us! Our real estate professionals would be happy to provide a complete listing history with historical sold prices and dates.
Detailed Information
Features
Treed, Partially cleared, Softwood bush
Listing Contract Date
2026-01-16
Location Description
From the Sydney River area, head towards Howie Centre on Kings Rd. (Hampton Dr is the street just before it - same side) and it's before you see the Irving. The lot is located at the top of the road (across from 62 Stewood Dr.) Look for the Real Estate Sign.
Municipal ID
15029390
Ownership Type
Freehold
Property Type
Vacant Land
Transaction Type
For sale
Building
Utility Water
None
Parking Spaces
Name
Spaces
Gravel
Land
Total Size
0.5142 acres
Sewer
No sewage system
Size of Irregular Land
0.5142
Terms of Use
Please review and agree to the following terms of use to access the listing content:
REALTOR®, REALTORS®, and the REALTOR® logo are certification marks that are owned by REALTOR® Canada Inc. and licensed exclusively to The Canadian Real Estate Association (CREA). These certification marks identify real estate professionals who are members of CREA and who must abide by CREA's By-Laws, Rules, and the REALTOR® Code. The MLS® trademark and the MLS® logo are owned by CREA and identify the quality of services provided by real estate professionals who are members of CREA;
The information contained on this site is based in whole or in part on information that is provided by members of CREA, who are responsible for its accuracy. CREA reproduces and distributes this information as a service for its members and assumes no responsibility for its accuracy;
This website is operated by a brokerage or salesperson who is a member of CREA;
The listing content on this website is protected by copyright and other laws, and is intended solely for the private, non-commercial use by individuals. Any other reproduction, distribution or use of the content, in whole or in part, is specifically forbidden. The prohibited uses include commercial use, "screen scraping", "database scraping", and any other activity intended to collect, store, reorganize or manipulate data on the pages produced by or displayed on this website.
The information contained on this site is based in whole or in part on information that is provided under copyright by the Toronto Regional Real Estate Board (TRREB) or by members of The Canadian Real Estate Association (CREA), who are responsible for its accuracy. TRREB and CREA reproduce and distribute this information as a service for their members and assume no responsibility for its accuracy. All information displayed is believed to be accurate but is not guaranteed and should be independently verified. No warranties or representations of any kind are made with respect to the accuracy of such information. The information provided herein must only be used by consumers that have a bona fide interest in the purchase, sale, or lease of real estate and may not be used for any commercial purpose or any other purpose.