Discover your own slice of tranquility on this 4.23-acre wooded lot, surrounded by the stillness that country living offers. Nestled near Sheridan Rapids, this property invites you to explore the beauty and serenity of the property itself, as well as the rapids just a short distance away. Whether you dream of a peaceful retreat or an adventurous base for outdoor activities, this lot provides the perfect setting to build your ideal home amidst nature's splendor. Embrace the opportunity to create a sanctuary in this serene and picturesque location. Driveway installed. (id:47421)
Interested in obtaining the full price history for this property? Contact us!Contact us! Our real estate professionals would be happy to provide a complete listing history with historical sold prices and dates.
Detailed Information
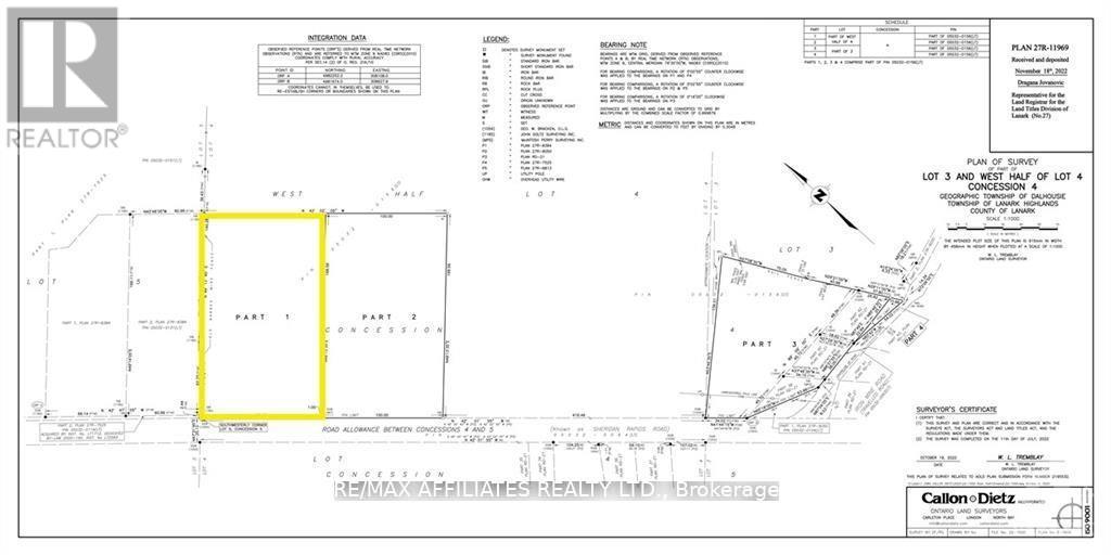
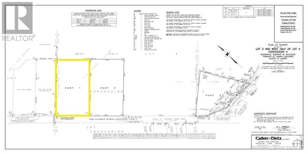
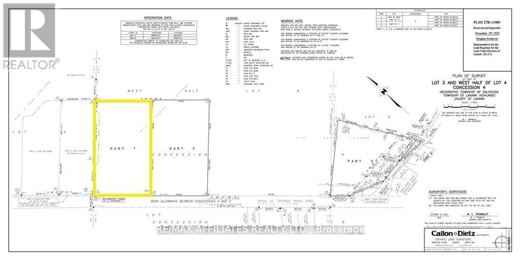
Lot
328 x 552 ft
Amenities Nearby
Golf Nearby
Listing Contract Date
2025-09-24
Location Description
Cross Streets: From Ottawa: West on Hwy 7 towards Carleton Place. Continue on Hwy 7 until Fergusson Falls Rd. Turn left onto Fergusson Falls Rd. Turn right onto Pine Grove Rd. Turn left onto Mill st. Turn right onto Iron Mine Rd. Turn right onto Sheridan Rapids. ** Directions: From Ottawa: West on Hwy 7 towards Carleton Place. Continue on Hwy 7 until Fergusson Falls Rd. Turn left onto Fergusson Falls Rd. Turn right onto Pine Grove Rd. Turn left onto Mill st. Turn right onto Iron Mine Rd. Turn right onto Sheridan Rapids.
Property Type
Vacant Land
Transaction Type
For sale
Zoning Description
Rural Countryside
Building
Parking Spaces
Name
Spaces
No Garage
Utilities
Type
Description
Electricity
Available
Land
Total Size
328 x 552 FT ; 0 | 2 - 4.99 acres
Acreage
Yes
Amenities
Golf Nearby
Size of Irregular Land
328 x 552 FT ; 0
Terms of Use
Please review and agree to the following terms of use to access the listing content:
REALTOR®, REALTORS®, and the REALTOR® logo are certification marks that are owned by REALTOR® Canada Inc. and licensed exclusively to The Canadian Real Estate Association (CREA). These certification marks identify real estate professionals who are members of CREA and who must abide by CREA's By-Laws, Rules, and the REALTOR® Code. The MLS® trademark and the MLS® logo are owned by CREA and identify the quality of services provided by real estate professionals who are members of CREA;
The information contained on this site is based in whole or in part on information that is provided by members of CREA, who are responsible for its accuracy. CREA reproduces and distributes this information as a service for its members and assumes no responsibility for its accuracy;
This website is operated by a brokerage or salesperson who is a member of CREA;
The listing content on this website is protected by copyright and other laws, and is intended solely for the private, non-commercial use by individuals. Any other reproduction, distribution or use of the content, in whole or in part, is specifically forbidden. The prohibited uses include commercial use, "screen scraping", "database scraping", and any other activity intended to collect, store, reorganize or manipulate data on the pages produced by or displayed on this website.
The information contained on this site is based in whole or in part on information that is provided under copyright by the Toronto Regional Real Estate Board (TRREB) or by members of The Canadian Real Estate Association (CREA), who are responsible for its accuracy. TRREB and CREA reproduce and distribute this information as a service for their members and assume no responsibility for its accuracy. All information displayed is believed to be accurate but is not guaranteed and should be independently verified. No warranties or representations of any kind are made with respect to the accuracy of such information. The information provided herein must only be used by consumers that have a bona fide interest in the purchase, sale, or lease of real estate and may not be used for any commercial purpose or any other purpose.