Step into brand-new luxury with this stunning bi-level offering over 2,900 sq. ft. of fully developed living space, perfectly positioned backing onto a peaceful green strip for extra privacy and a beautiful backdrop year-round. The upper level is designed to impress with an open-concept layout, featuring a show-stopping kitchen with quartz countertops, modern finishes, and plenty of space to gather and entertain. The living room is anchored by a striking fireplace feature, with oversized sliding glass doors leading to your south facing balcony, creating the perfect indoor-outdoor flow for morning coffee or evening sunsets. The main floor primary suite is magnificent, complete with a custom spa-inspired ensuite, a massive walk-in closet, and thoughtful design throughout. A second bedroom on the main, adds flexibility for family, guests, or a home office, and you’ll love the convenience of upstairs laundry located right off the large 24'x21'6" double garage. Downstairs, the home continues to deliver with a bright walk-up basement with 9-foot ceilings, and vinyl plank flooring throughout. This lower level is fully developed with three large bedrooms, a full bathroom, and even a secondary laundry setup—ideal for busy households, multi-generational living, or added functionality. The spacious family room is elevated by a beautiful wet bar, perfect for hosting, movie nights, or game-day entertaining. Add in exceptional storage, washer and dryer, tankless hot water, central air all included, an energy efficient home built with integrity from the ground up, and you have a home that’s as practical as it is impressive. With premium finishes, incredible space, in a sought after location, this one is the total package. Call your agent today— This house is ready for immediete possession! (Just finishing some exterior details) Measurements based off blueprint. (id:47421)
Interested in obtaining the full price history for this property? Contact us!Contact us! Our real estate professionals would be happy to provide a complete listing history with historical sold prices and dates.
Detailed Information
Bedrooms
2+3
Bathrooms
3
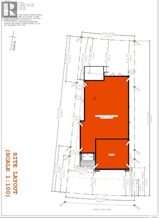
Lot
14.63 x 35.05 m
Features
Wet bar, Level, Gas BBQ Hookup
Listing Contract Date
2026-01-26
Municipal ID
0038122834
Ownership Type
Freehold
# of Parking Spaces
4
Plan
1812202
Property Type
Single Family
Structures
Porch
Transaction Type
For sale
Zoning Description
R-L
Building
Appliances
Refrigerator, Dishwasher, Stove, Hood Fan, Garage door opener, Washer & Dryer, Water Heater - Tankless
Architectural Style
Bi-level
Basement Development
Finished
Basement Features
Separate entrance, Walk-up
Basement Type
Full (Finished)
Constructed Date
2026
Construction Material
Wood frame
Construction Style (Attachment)
Detached
Cooling Type
Central air conditioning
Fireplace Present
Yes
# of Fireplaces
1
Flooring Type
Vinyl Plank
Foundation Type
Poured Concrete
Heating Type
Other, Forced air
Total Finished Area
1569 sqft
Type
House
Rooms
Room
Level
Dimensions
Notes
Bedroom
Lower level
13.33 Ft x 11.83 Ft
Bedroom
Lower level
13.33 Ft x 10.25 Ft
Bedroom
Lower level
13.33 Ft x 13.75 Ft
4pc Bathroom
Lower level
Measurements not available
4pc Bathroom
Main level
.00 Ft x .00 Ft
4pc Bathroom
Main level
.00 Ft x .00 Ft
Bedroom
Main level
10.75 Ft x 10.75 Ft
Primary Bedroom
Main level
17.50 Ft x 12.25 Ft
Parking Spaces
Name
Spaces
Attached Garage
2
Land
Total Size
4854.5 square feet
Fence Type
Partially fenced
Size of Irregular Land
4854.50
Open Houses
Date & Time
Comments
16/05/2026 11:00 AM - 1:00 PM
Come say hi to me, and meet an on-site mortgage broker, Candice Demare, who can answer all your mortgage questions!
17/05/2026 11:00 AM - 1:00 PM
Terms of Use
Please review and agree to the following terms of use to access the listing content:
REALTOR®, REALTORS®, and the REALTOR® logo are certification marks that are owned by REALTOR® Canada Inc. and licensed exclusively to The Canadian Real Estate Association (CREA). These certification marks identify real estate professionals who are members of CREA and who must abide by CREA's By-Laws, Rules, and the REALTOR® Code. The MLS® trademark and the MLS® logo are owned by CREA and identify the quality of services provided by real estate professionals who are members of CREA;
The information contained on this site is based in whole or in part on information that is provided by members of CREA, who are responsible for its accuracy. CREA reproduces and distributes this information as a service for its members and assumes no responsibility for its accuracy;
This website is operated by a brokerage or salesperson who is a member of CREA;
The listing content on this website is protected by copyright and other laws, and is intended solely for the private, non-commercial use by individuals. Any other reproduction, distribution or use of the content, in whole or in part, is specifically forbidden. The prohibited uses include commercial use, "screen scraping", "database scraping", and any other activity intended to collect, store, reorganize or manipulate data on the pages produced by or displayed on this website.
The information contained on this site is based in whole or in part on information that is provided under copyright by the Toronto Regional Real Estate Board (TRREB) or by members of The Canadian Real Estate Association (CREA), who are responsible for its accuracy. TRREB and CREA reproduce and distribute this information as a service for their members and assume no responsibility for its accuracy. All information displayed is believed to be accurate but is not guaranteed and should be independently verified. No warranties or representations of any kind are made with respect to the accuracy of such information. The information provided herein must only be used by consumers that have a bona fide interest in the purchase, sale, or lease of real estate and may not be used for any commercial purpose or any other purpose.