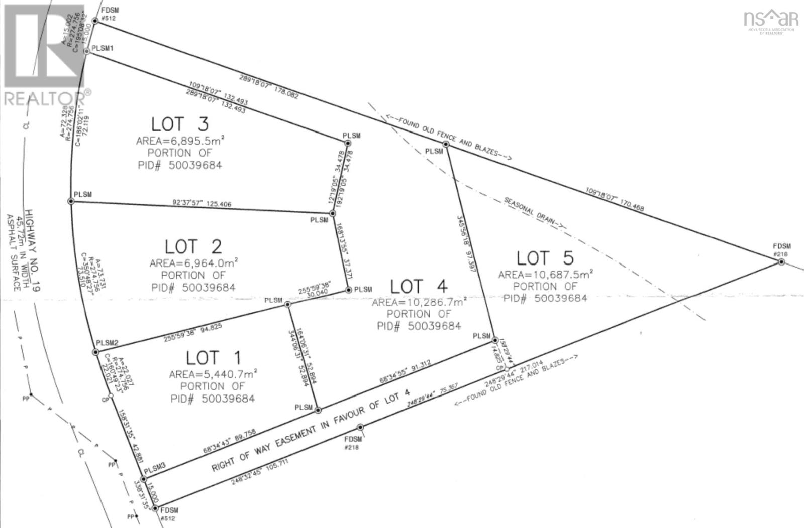
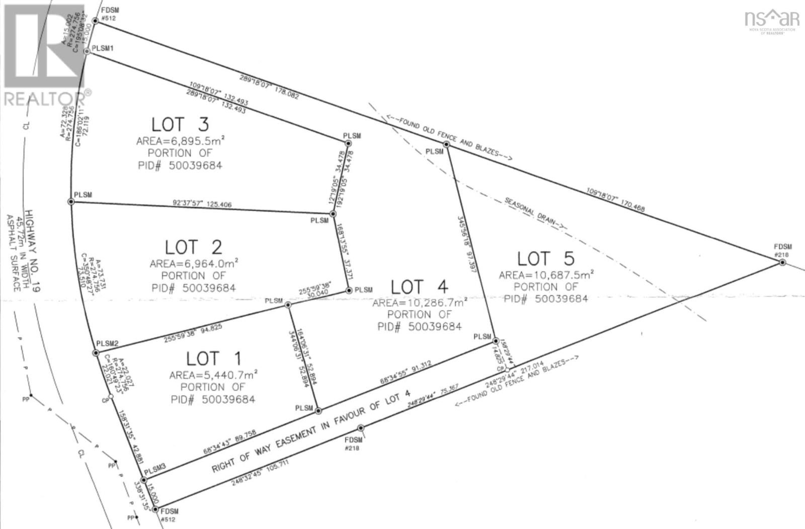
Opportunity awaits! Lot 3 totals 1.70 acres along Highway 19 in Hawleys Hill. This is a surveyed parcel with views of Smithville, offering a gradual slope, while the majority of the land is cleared and prepped for building. A buffer of trees remains between Lot 2 and 3, to allow privacy from your neighbor. A drilled well has been installed, and a partial driveway is in place. Power is available across the road. Located just outside of the community of Mabou, and about 15 minutes from Inverness, home of Cabot Links and Cabot Cliffs golf courses, all local amenities are close by. Welcome home, to Mabou! (id:47421)
Interested in obtaining the full price history for this property? Contact us!Contact us! Our real estate professionals would be happy to provide a complete listing history with historical sold prices and dates.
Detailed Information
Features
Sloping, Partially cleared
Listing Contract Date
2024-10-10
Location Description
Along Highway 19, North of Civil #12286. Property is signed, please refer to survey.
Municipal ID
50349588
Ownership Type
Freehold
Property Type
Vacant Land
Transaction Type
For sale
Building
Utility Water
Drilled Well
Parking Spaces
Name
Spaces
Gravel
Land
Total Size
1.7039 acres
Acreage
Yes
Sewer
No sewage system
Size of Irregular Land
1.7039
Terms of Use
Please review and agree to the following terms of use to access the listing content:
REALTOR®, REALTORS®, and the REALTOR® logo are certification marks that are owned by REALTOR® Canada Inc. and licensed exclusively to The Canadian Real Estate Association (CREA). These certification marks identify real estate professionals who are members of CREA and who must abide by CREA's By-Laws, Rules, and the REALTOR® Code. The MLS® trademark and the MLS® logo are owned by CREA and identify the quality of services provided by real estate professionals who are members of CREA;
The information contained on this site is based in whole or in part on information that is provided by members of CREA, who are responsible for its accuracy. CREA reproduces and distributes this information as a service for its members and assumes no responsibility for its accuracy;
This website is operated by a brokerage or salesperson who is a member of CREA;
The listing content on this website is protected by copyright and other laws, and is intended solely for the private, non-commercial use by individuals. Any other reproduction, distribution or use of the content, in whole or in part, is specifically forbidden. The prohibited uses include commercial use, "screen scraping", "database scraping", and any other activity intended to collect, store, reorganize or manipulate data on the pages produced by or displayed on this website.
The information contained on this site is based in whole or in part on information that is provided under copyright by the Toronto Regional Real Estate Board (TRREB) or by members of The Canadian Real Estate Association (CREA), who are responsible for its accuracy. TRREB and CREA reproduce and distribute this information as a service for their members and assume no responsibility for its accuracy. All information displayed is believed to be accurate but is not guaranteed and should be independently verified. No warranties or representations of any kind are made with respect to the accuracy of such information. The information provided herein must only be used by consumers that have a bona fide interest in the purchase, sale, or lease of real estate and may not be used for any commercial purpose or any other purpose.