Prime building lot with 52 ft frontage on a quiet court Victoria Street just steps to the lake and Bronte Village. This 4554 square foot lot is an incredible opportunity to build your detached dream home. Build envelope of 1083.9 square feet per site plan attached. One protected oak tree at the front of the property. Lot is currently unserviced. Take this lot to your architect for your opportunity to build something special! Walking distance to Bronte Beach, Shell Park and extensive woodland and lakefront trails. (id:47421)
Interested in obtaining the full price history for this property? Contact us!Contact us! Our real estate professionals would be happy to provide a complete listing history with historical sold prices and dates.
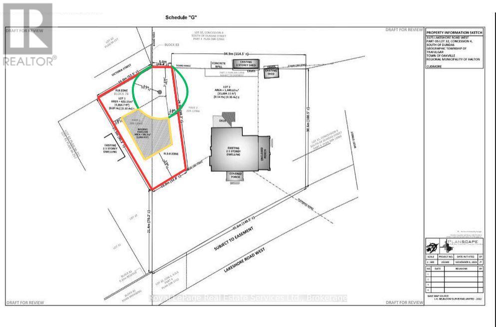
Detailed Information
Lot
52.42 x 90.25 ft
Listing Contract Date
2025-07-29
Location Description
Lakeshore Rd W to Chalmers St to Victoria St
Property Type
Vacant Land
Transaction Type
For sale
Zoning Description
R3-0
Building
Land
Total Size
52.49 x 90.29 FT ; irregular | under 1/2 acre
Size of Irregular Land
52.49 x 90.29 FT ; irregular
Terms of Use
Please review and agree to the following terms of use to access the listing content:
REALTOR®, REALTORS®, and the REALTOR® logo are certification marks that are owned by REALTOR® Canada Inc. and licensed exclusively to The Canadian Real Estate Association (CREA). These certification marks identify real estate professionals who are members of CREA and who must abide by CREA's By-Laws, Rules, and the REALTOR® Code. The MLS® trademark and the MLS® logo are owned by CREA and identify the quality of services provided by real estate professionals who are members of CREA;
The information contained on this site is based in whole or in part on information that is provided by members of CREA, who are responsible for its accuracy. CREA reproduces and distributes this information as a service for its members and assumes no responsibility for its accuracy;
This website is operated by a brokerage or salesperson who is a member of CREA;
The listing content on this website is protected by copyright and other laws, and is intended solely for the private, non-commercial use by individuals. Any other reproduction, distribution or use of the content, in whole or in part, is specifically forbidden. The prohibited uses include commercial use, "screen scraping", "database scraping", and any other activity intended to collect, store, reorganize or manipulate data on the pages produced by or displayed on this website.
The information contained on this site is based in whole or in part on information that is provided under copyright by the Toronto Regional Real Estate Board (TRREB) or by members of The Canadian Real Estate Association (CREA), who are responsible for its accuracy. TRREB and CREA reproduce and distribute this information as a service for their members and assume no responsibility for its accuracy. All information displayed is believed to be accurate but is not guaranteed and should be independently verified. No warranties or representations of any kind are made with respect to the accuracy of such information. The information provided herein must only be used by consumers that have a bona fide interest in the purchase, sale, or lease of real estate and may not be used for any commercial purpose or any other purpose.