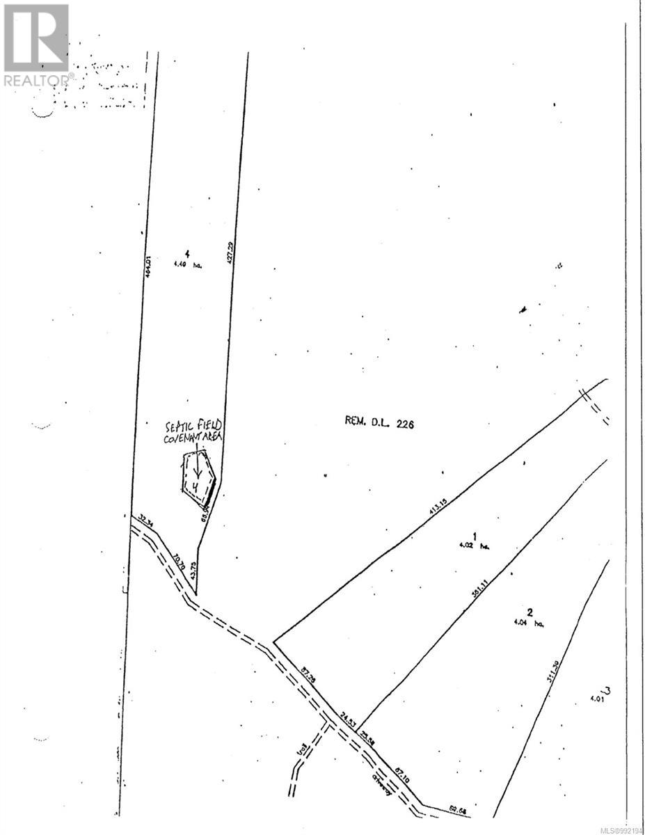
Explore this distinctive 10-acre property nestled near the serene Open Bay on Quadra Island, British Columbia. Open Bay is renowned for its sandy beaches, offering a tranquil retreat for nature enthusiasts. This parcel is part of a larger 146-acre estate divided into five separate parcels structured under a fractional ownership model. Purchasing this property grants you exclusive rights to a designated 10-acre inland section, complemented by a recreational easement providing beach access. The property boasts multiple potential building locations. Choose between sites near a creek or elevated positions on the bluffs, offering expansive views. Electricity infrastructure is readily available at the property's frontage. This lot pays 6.85% for its proportion of taxes and other expenses. This is not a strata. Don't miss this opportunity. Book a showing today. (id:47421)
Interested in obtaining the full price history for this property? Contact us!Contact us! Our real estate professionals would be happy to provide a complete listing history with historical sold prices and dates.
Detailed Information
Community Features
Family Oriented
Features
Acreage
Listing Contract Date
2025-03-17
Maintenance Fee Payment Frequency
Monthly
Municipal ID
009-661-956
Ownership Type
Timeshare/Fractional
# of Parking Spaces
10
Property Type
Vacant Land
Transaction Type
For sale
Zoning
Unknown
Building
Land
Total Size
10 acres
Acreage
Yes
Size of Irregular Land
10
Terms of Use
Please review and agree to the following terms of use to access the listing content:
REALTOR®, REALTORS®, and the REALTOR® logo are certification marks that are owned by REALTOR® Canada Inc. and licensed exclusively to The Canadian Real Estate Association (CREA). These certification marks identify real estate professionals who are members of CREA and who must abide by CREA's By-Laws, Rules, and the REALTOR® Code. The MLS® trademark and the MLS® logo are owned by CREA and identify the quality of services provided by real estate professionals who are members of CREA;
The information contained on this site is based in whole or in part on information that is provided by members of CREA, who are responsible for its accuracy. CREA reproduces and distributes this information as a service for its members and assumes no responsibility for its accuracy;
This website is operated by a brokerage or salesperson who is a member of CREA;
The listing content on this website is protected by copyright and other laws, and is intended solely for the private, non-commercial use by individuals. Any other reproduction, distribution or use of the content, in whole or in part, is specifically forbidden. The prohibited uses include commercial use, "screen scraping", "database scraping", and any other activity intended to collect, store, reorganize or manipulate data on the pages produced by or displayed on this website.
The information contained on this site is based in whole or in part on information that is provided under copyright by the Toronto Regional Real Estate Board (TRREB) or by members of The Canadian Real Estate Association (CREA), who are responsible for its accuracy. TRREB and CREA reproduce and distribute this information as a service for their members and assume no responsibility for its accuracy. All information displayed is believed to be accurate but is not guaranteed and should be independently verified. No warranties or representations of any kind are made with respect to the accuracy of such information. The information provided herein must only be used by consumers that have a bona fide interest in the purchase, sale, or lease of real estate and may not be used for any commercial purpose or any other purpose.