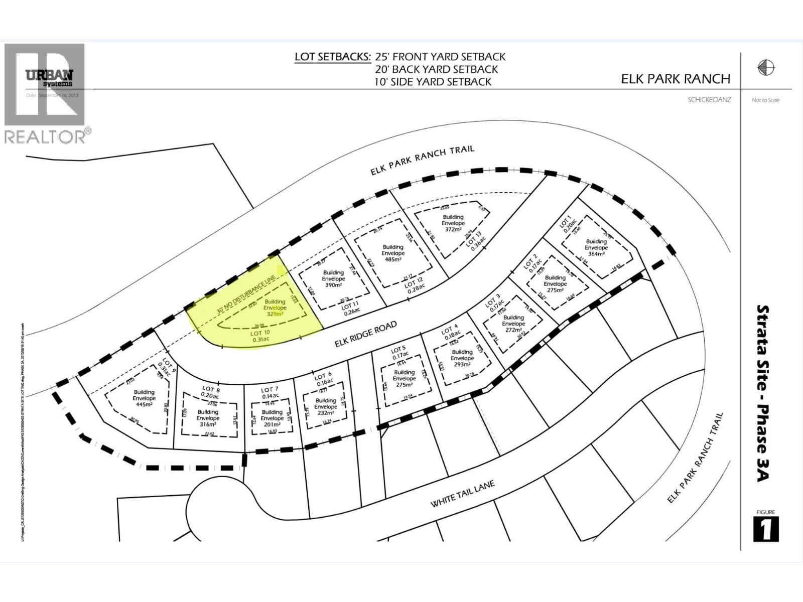
This home site is located in Elk Park Ranch and is fully serviced on Village of Radium water, sewer, cable, telephone, internet, propane, and underground electrical. It is a flat 1/3 acre fully useable corner lot. You may select your own builder and design a custom home that works within the architectural controls. The community of Elk Park includes several enclaves of spacious single-family home sites. Every home site is enveloped in mountain vistas and fragrant alpine forests all well being generously sized to ensure there is plenty of elbow room left after you build your custom Columbia Valley home. Elk Park Ranch is the perfect place to set down roots and create memories to last a lifetime, you will experience an easy-going attitude, numerous outdoor adventures, and the awe of mountain living. (id:47421)
Interested in obtaining the full price history for this property? Contact us!Contact us! Our real estate professionals would be happy to provide a complete listing history with historical sold prices and dates.
Detailed Information
Amenities Nearby
Golf Nearby, Recreation
Features
Corner Site
Listing Contract Date
2025-12-08
Maintenance Fee Payment Frequency
Yearly
Maintenance Fee Type
Reserve Fund Contributions, Other, See Remarks, Waste Removal
Municipal ID
029-174-414
Ownership Type
Bare Land Condo/Strata
Property Type
Vacant Land
Road
Paved road
Transaction Type
For sale
Views
Mountain view
Building
Type
Other
Utility Water
Municipal water
Utilities
Type
Description
Cable
At Lot Line
Electricity
At Lot Line
Telephone
At Lot Line
Sewer
Available
Water
At Lot Line
Land
Total Size
0.31 acres
Access Type
Easy access
Amenities
Golf Nearby, Recreation
Sewer
Municipal sewage system
Size of Irregular Land
0.31
Terms of Use
Please review and agree to the following terms of use to access the listing content:
REALTOR®, REALTORS®, and the REALTOR® logo are certification marks that are owned by REALTOR® Canada Inc. and licensed exclusively to The Canadian Real Estate Association (CREA). These certification marks identify real estate professionals who are members of CREA and who must abide by CREA's By-Laws, Rules, and the REALTOR® Code. The MLS® trademark and the MLS® logo are owned by CREA and identify the quality of services provided by real estate professionals who are members of CREA;
The information contained on this site is based in whole or in part on information that is provided by members of CREA, who are responsible for its accuracy. CREA reproduces and distributes this information as a service for its members and assumes no responsibility for its accuracy;
This website is operated by a brokerage or salesperson who is a member of CREA;
The listing content on this website is protected by copyright and other laws, and is intended solely for the private, non-commercial use by individuals. Any other reproduction, distribution or use of the content, in whole or in part, is specifically forbidden. The prohibited uses include commercial use, "screen scraping", "database scraping", and any other activity intended to collect, store, reorganize or manipulate data on the pages produced by or displayed on this website.
The information contained on this site is based in whole or in part on information that is provided under copyright by the Toronto Regional Real Estate Board (TRREB) or by members of The Canadian Real Estate Association (CREA), who are responsible for its accuracy. TRREB and CREA reproduce and distribute this information as a service for their members and assume no responsibility for its accuracy. All information displayed is believed to be accurate but is not guaranteed and should be independently verified. No warranties or representations of any kind are made with respect to the accuracy of such information. The information provided herein must only be used by consumers that have a bona fide interest in the purchase, sale, or lease of real estate and may not be used for any commercial purpose or any other purpose.