Only 3 lots left. And at just $45,000, they may not stay that way for long.These fully serviced lots in Rockyford offer something buyers are struggling to find right now — affordability, community, and the chance to actually build the lifestyle they want.Rockyford is one of those small Alberta towns people fall in love with the second they drive into it. The kind of place where neighbours know each other, kids still ride bikes to the rink, and summer weekends revolve around rodeos, local markets, and backyard BBQs.Located just 45 minutes from Calgary and 20 minutes to Strathmore, you get the quiet of country living without feeling completely disconnected from the city.And the location keeps getting better.A brand-new green space is being developed directly behind these lots, complete with walking paths, picnic areas, and open space designed for families, pets, and everyday life outdoors.These lots are fully serviced with municipal water, sewer, gas, and power already at the lot line, making the building process far more straightforward. There is even a property tax incentive program available to help make building more affordable.Whether you are ready to stop renting, looking for an affordable place to build, or searching for a slower pace with a stronger sense of community, this is an opportunity worth looking at.Small town living. Big opportunity. Only 3 lots remaining. (id:47421)
Interested in obtaining the full price history for this property? Contact us!Contact us! Our real estate professionals would be happy to provide a complete listing history with historical sold prices and dates.
Detailed Information
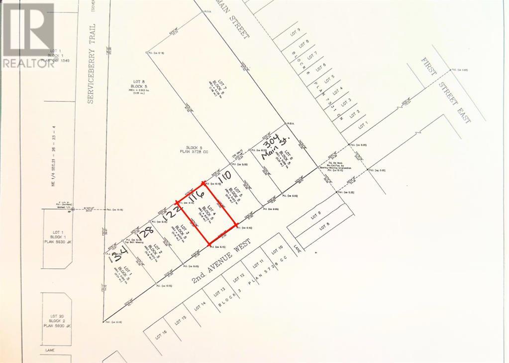
Lot
21 x 35 m
Amenities Nearby
Park, Playground, Schools
Listing Contract Date
2025-07-18
Municipal ID
0039426929
Ownership Type
Freehold
Plan
2310338
Property Type
Vacant Land
Transaction Type
For sale
Zoning Description
R-1
Building
Age
Age is unknown
Land
Total Size
0.18 acres
Amenities
Park, Playground, Schools
Fence Type
Not fenced
Disposition Features
Cleared
Size of Irregular Land
0.18
Terms of Use
Please review and agree to the following terms of use to access the listing content:
REALTOR®, REALTORS®, and the REALTOR® logo are certification marks that are owned by REALTOR® Canada Inc. and licensed exclusively to The Canadian Real Estate Association (CREA). These certification marks identify real estate professionals who are members of CREA and who must abide by CREA's By-Laws, Rules, and the REALTOR® Code. The MLS® trademark and the MLS® logo are owned by CREA and identify the quality of services provided by real estate professionals who are members of CREA;
The information contained on this site is based in whole or in part on information that is provided by members of CREA, who are responsible for its accuracy. CREA reproduces and distributes this information as a service for its members and assumes no responsibility for its accuracy;
This website is operated by a brokerage or salesperson who is a member of CREA;
The listing content on this website is protected by copyright and other laws, and is intended solely for the private, non-commercial use by individuals. Any other reproduction, distribution or use of the content, in whole or in part, is specifically forbidden. The prohibited uses include commercial use, "screen scraping", "database scraping", and any other activity intended to collect, store, reorganize or manipulate data on the pages produced by or displayed on this website.
The information contained on this site is based in whole or in part on information that is provided under copyright by the Toronto Regional Real Estate Board (TRREB) or by members of The Canadian Real Estate Association (CREA), who are responsible for its accuracy. TRREB and CREA reproduce and distribute this information as a service for their members and assume no responsibility for its accuracy. All information displayed is believed to be accurate but is not guaranteed and should be independently verified. No warranties or representations of any kind are made with respect to the accuracy of such information. The information provided herein must only be used by consumers that have a bona fide interest in the purchase, sale, or lease of real estate and may not be used for any commercial purpose or any other purpose.