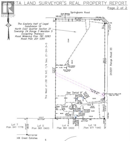
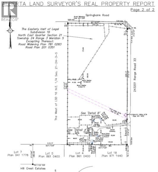
Offering of 19.2 Acres of development land located immediately SW of Springbank High School and the Springbank Park for All Seasons. Legal title of (East ½) Subdivision 16 NE-21-24-03-05, owned by the existing family since 1960 and currently leased to a local horse operation. The current zoning designation is Residential, Rural District (R-RUR). In the Draft 2024 Springbank Area Structure Plan, this parcel of land has a future zoning as Infill Residential where future lots in the infill residential area will range between +0.8 to +1.6 ha (+2 to. +4 acres) in size, or whatever is most prevalent on adjacent lands or in the immediate area. This parcel can be serviced for water by CalAlta and the water line can be tied into at the Springbank High School hub. This has been confirmed to be within the CalAlta area for servicing. The cost to tie into this service can be discussed with CalAlta directly. The current owner attended 2024 Public Hearings for the Springbank Area Structure Plan and presented amendments to this particular parcel that they felt would enhance future development possibilities to this area and the Springbank community. A future owner may consider utilizing this parcel of land with its current land designation or may also consider working with a planning and independent consultant if they wish to apply to Rocky View County to change the land use designation, being that community and institutional land use areas are immediately across the road from this existing parcel. The current tenant has a lease until August 31st, 2025 and would like to continue to lease into the future. (id:47421)
Interested in obtaining the full price history for this property? Contact us!Contact us! Our real estate professionals would be happy to provide a complete listing history with historical sold prices and dates.
Detailed Information
Bedrooms
3
Bathrooms
2
Amenities Nearby
Park, Schools
Features
See remarks, Other
Listing Contract Date
2025-04-12
Municipal ID
0038568441
Ownership Type
Freehold
Property Type
Single Family
Structures
See Remarks
Transaction Type
For sale
Zoning Description
R-RUR
Building
Architectural Style
Bi-level
Basement Type
See Remarks
Constructed Date
1960
Construction Style (Attachment)
Detached
Cooling Type
None
Exterior Finish
Composite Siding
Flooring Type
Other
Foundation Type
Poured Concrete
Heating Fuel
Natural gas
Heating Type
Forced air
Total Finished Area
1399 sqft
Type
House
Utility Water
Well
Rooms
Room
Level
Dimensions
Notes
Family room
Lower level
21.08 Ft x 22.58 Ft
Other
Lower level
8.00 Ft x 10.83 Ft
Den
Lower level
8.67 Ft x 13.83 Ft
Office
Lower level
15.92 Ft x 12.08 Ft
4pc Bathroom
Lower level
Measurements not available
Kitchen
Main level
9.50 Ft x 7.92 Ft
Dining room
Main level
9.50 Ft x 8.67 Ft
Living room
Main level
13.42 Ft x 13.67 Ft
Primary Bedroom
Main level
11.50 Ft x 18.42 Ft
Bedroom
Main level
12.33 Ft x 10.00 Ft
Bedroom
Main level
9.50 Ft x 10.50 Ft
4pc Bathroom
Main level
Measurements not available
Parking Spaces
Name
Spaces
None
Land
Total Size
19.21 acres
Acreage
Yes
Amenities
Park, Schools
Fence Type
Fence
Sewer
Septic Field, Septic tank
Size of Irregular Land
19.21
Terms of Use
Please review and agree to the following terms of use to access the listing content:
REALTOR®, REALTORS®, and the REALTOR® logo are certification marks that are owned by REALTOR® Canada Inc. and licensed exclusively to The Canadian Real Estate Association (CREA). These certification marks identify real estate professionals who are members of CREA and who must abide by CREA's By-Laws, Rules, and the REALTOR® Code. The MLS® trademark and the MLS® logo are owned by CREA and identify the quality of services provided by real estate professionals who are members of CREA;
The information contained on this site is based in whole or in part on information that is provided by members of CREA, who are responsible for its accuracy. CREA reproduces and distributes this information as a service for its members and assumes no responsibility for its accuracy;
This website is operated by a brokerage or salesperson who is a member of CREA;
The listing content on this website is protected by copyright and other laws, and is intended solely for the private, non-commercial use by individuals. Any other reproduction, distribution or use of the content, in whole or in part, is specifically forbidden. The prohibited uses include commercial use, "screen scraping", "database scraping", and any other activity intended to collect, store, reorganize or manipulate data on the pages produced by or displayed on this website.
The information contained on this site is based in whole or in part on information that is provided under copyright by the Toronto Regional Real Estate Board (TRREB) or by members of The Canadian Real Estate Association (CREA), who are responsible for its accuracy. TRREB and CREA reproduce and distribute this information as a service for their members and assume no responsibility for its accuracy. All information displayed is believed to be accurate but is not guaranteed and should be independently verified. No warranties or representations of any kind are made with respect to the accuracy of such information. The information provided herein must only be used by consumers that have a bona fide interest in the purchase, sale, or lease of real estate and may not be used for any commercial purpose or any other purpose.