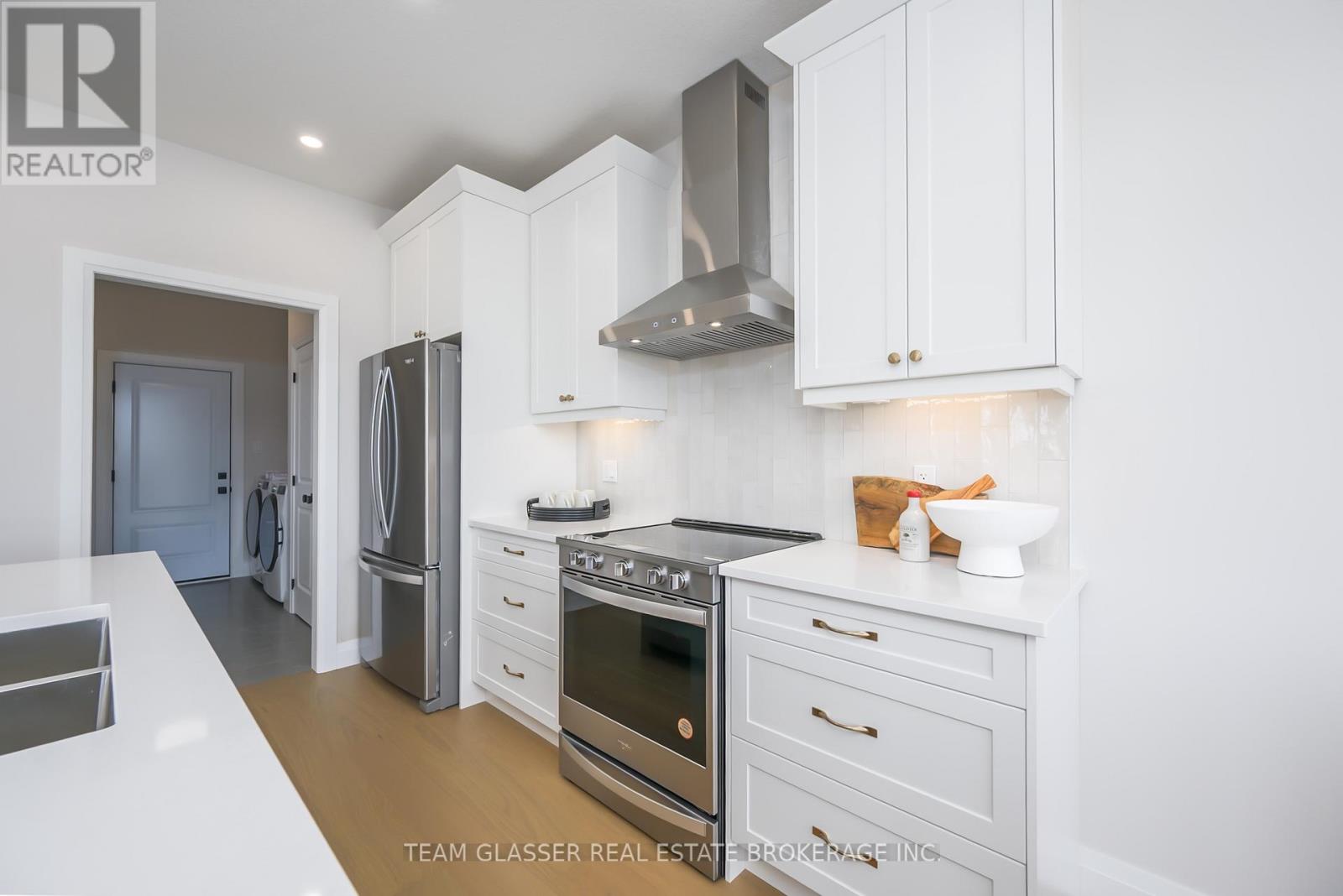
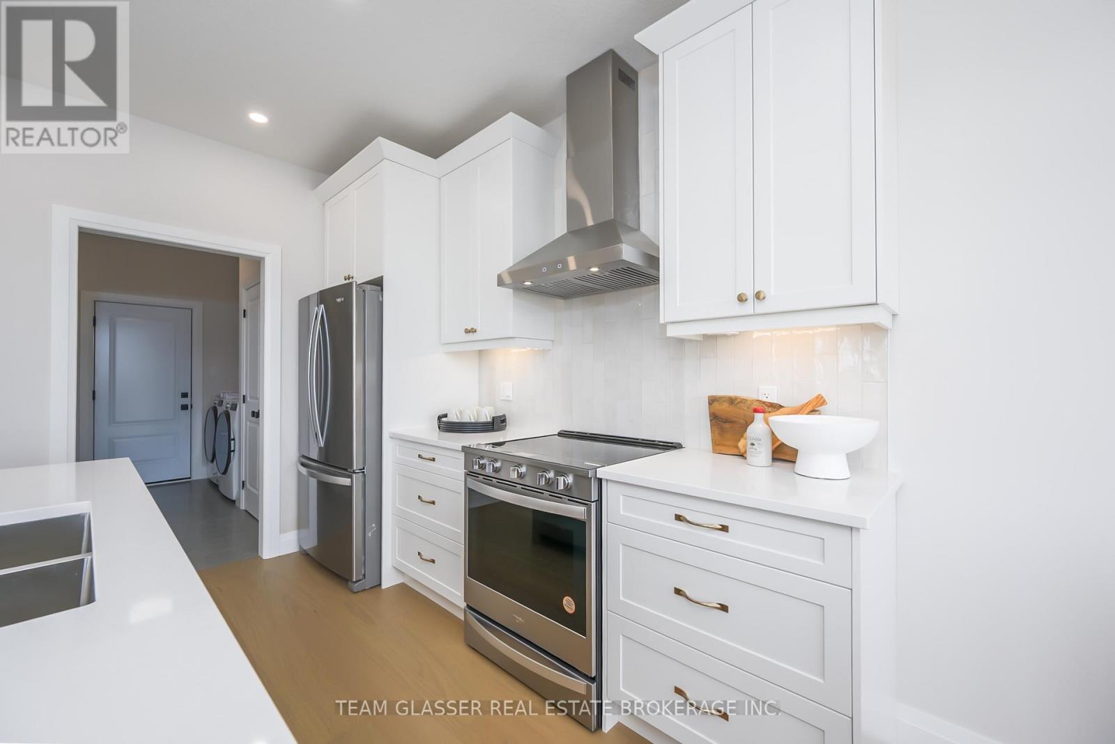
PRICE IS INCLUDING NEW HST REBATE FOR AGREEMENTS SIGNED BETWEEN APRIL 1 2026 TO MARCH 31ST 2027 FOR PRINCIPAL RESIDENCE HOMES. To BE BUILT in Sol Haven, Grand Bend! Tasteful Elegance in this Stunning 2 storey Magnus Homes AMETHYST Model. This 2157 square foot Model could sit nicely on a 49 ft standard lot in the NEW Sol Haven, Grand Bend subdivision. This Model has an open-concept kitchen,dining & Great Room. Large dining room sliding door to yard with huge windows in the Great room makes the MAIN FLOOR, family ready, open and inviting. The Second Level boasts a Large Primary bedroom with a large ensuite! Walk-in closet completes this Primary bedroom. Lots of space for storage and making the space your own. The 3 other spacious bedrooms and full bath complete the second level, is great for the family. The main-floor touts a large laundry and main floor powder room and handy pantry. There are many more Magnus styles to choose from including bungalows and other two-story models. **Note - Photos Show other Magnus build in KWH/London! We have many larger Premium Plans and lots, backing onto trees, ravine and trails to design your custom Home. Come and see what Grand Bend living offers! Healthy, friendly small-town living, Walks by the lake, great social life and restaurants. Where the rhythm of the lake becomes the rhythm of your life. Coastal charm meets modern comfort in Grand Bend. Visit our model homes in Sol Haven! (id:47421)
Share
Listed By
TEAM GLASSER REAL ESTATE Brokerage INC., EXP REALTY
Interested in obtaining the full price history for this property? Contact us!Contact us! Our real estate professionals would be happy to provide a complete listing history with historical sold prices and dates.
Detailed Information
Bedrooms
4
Bathrooms
3
Lot
49 x 98.33 ft
Equipment
Water Heater, Water Heater - Tankless
Listing Contract Date
2026-01-27
Location Description
Cross Streets: A Few min North East of Main Grand Bend Lights - Highway #21 and Highway #81 (Main street Grand Bend at Bluewater Highway) Turn in to SOL on Dearing Drive. ** Directions: A Few min North East of Main Grand Bend Lights - Highway #21 and Highway #81 (Main street Grand Bend at Bluewater Highway) Turn in to SOL on Dearing Drive.
Ownership Type
Freehold
# of Parking Spaces
4
Property Type
Single Family
Rental Equipment
Water Heater, Water Heater - Tankless
Transaction Type
For sale
Zoning Description
UR1-38
Building
Age
New building
Appliances
Garage door opener remote(s), Water Heater - Tankless, Garage door opener
Basement Development
Unfinished
Basement Type
Full (Unfinished)
Construction Style (Attachment)
Detached
Cooling Type
Central air conditioning
Exterior Finish
Brick, Vinyl siding
Fireplace Present
Yes
# of Fireplaces
1
Foundation Type
Poured Concrete
# of Half Bathrooms
1
Heating Fuel
Electric
Heating Type
Heat Pump
Stories Total
2
Type
House
Utility Water
Municipal water
Rooms
Room
Level
Dimensions
Notes
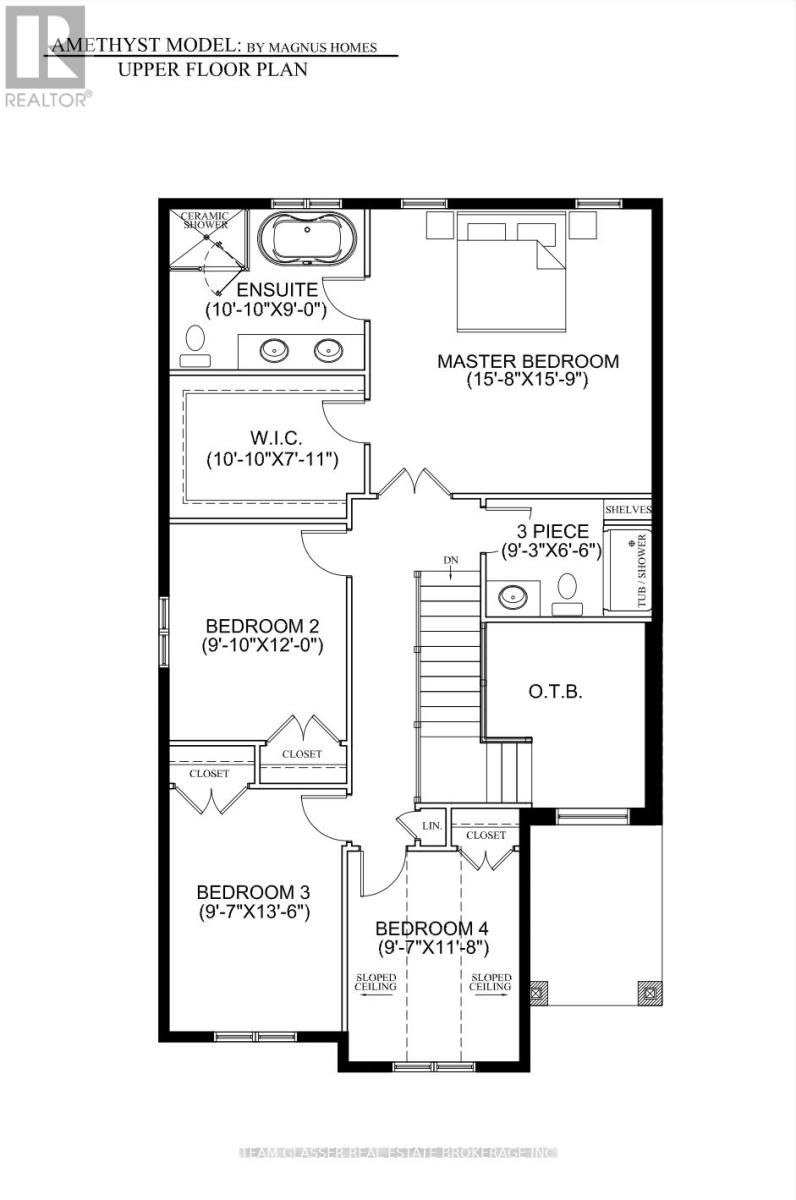
Bedroom 3
Second level
3.26 m x 4.27 m
Bedroom 4
Second level
3.26 m x 3.69 m
Bathroom
Second level
2.77 m x 1.86 m
Primary Bedroom
Second level
4.36 m x 4.57 m
Bathroom
Second level
3.66 m x 3.66 m
Bedroom 2
Second level
3.66 m x 3.72 m
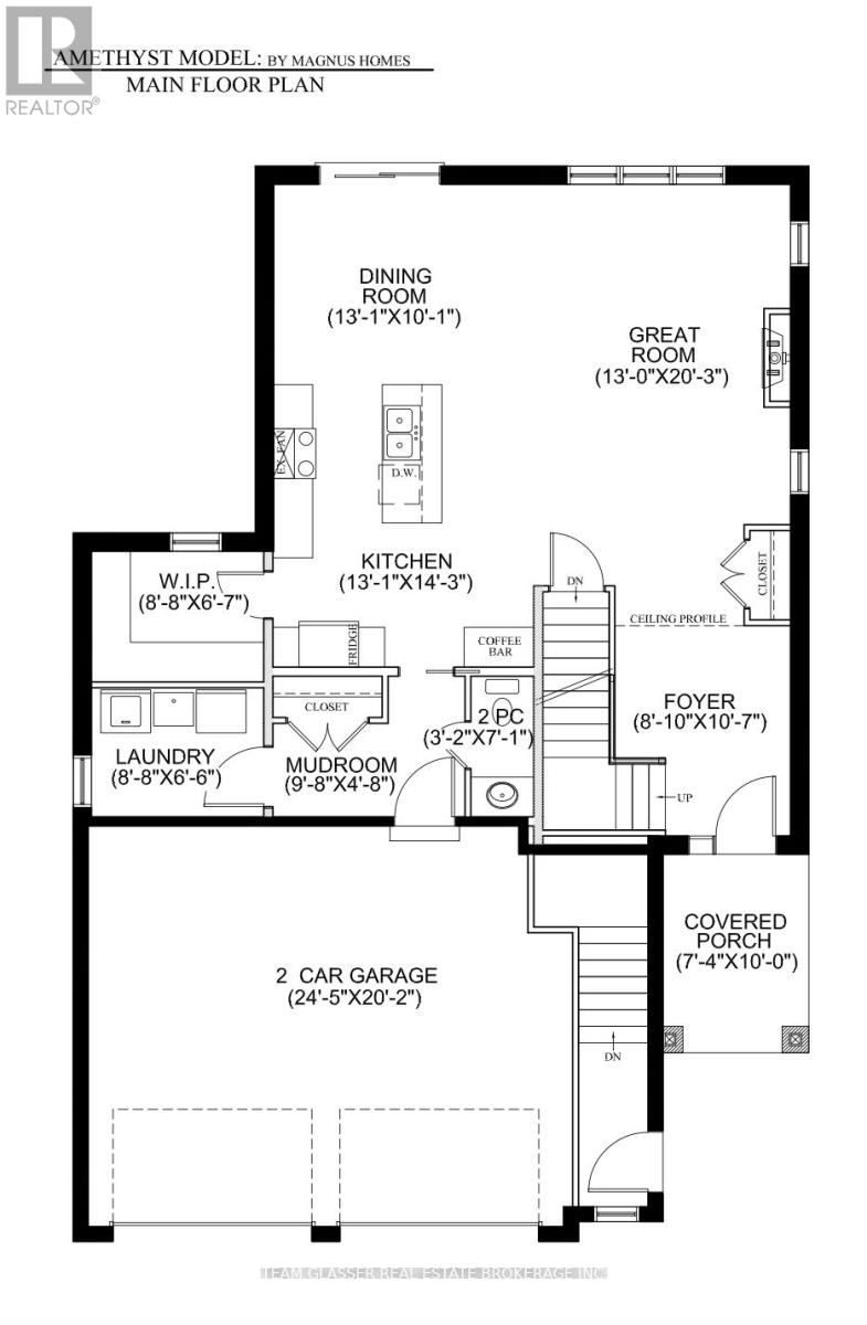
Dining room
Main level
3.41 m x 3.72 m
Kitchen
Main level
4.32 m x 4.29 m
Other
Main level
7.32 m x 2.74 m
Great room
Main level
6.4 m x 4.29 m
Laundry room
Main level
4.17 m x 2.13 m
Bathroom
Main level
2.13 m x 0.94 m
Foyer
Main level
1.98 m x 3.38 m
Parking Spaces
Name
Spaces
Attached Garage
Garage
Utilities
Type
Description
Cable
Installed
Electricity
Installed
Sewer
Installed
Land
Total Size
49 x 98.4 FT
Sewer
Sanitary sewer
Size of Irregular Land
49 x 98.4 FT
Terms of Use
Please review and agree to the following terms of use to access the listing content:
REALTOR®, REALTORS®, and the REALTOR® logo are certification marks that are owned by REALTOR® Canada Inc. and licensed exclusively to The Canadian Real Estate Association (CREA). These certification marks identify real estate professionals who are members of CREA and who must abide by CREA's By-Laws, Rules, and the REALTOR® Code. The MLS® trademark and the MLS® logo are owned by CREA and identify the quality of services provided by real estate professionals who are members of CREA;
The information contained on this site is based in whole or in part on information that is provided by members of CREA, who are responsible for its accuracy. CREA reproduces and distributes this information as a service for its members and assumes no responsibility for its accuracy;
This website is operated by a brokerage or salesperson who is a member of CREA;
The listing content on this website is protected by copyright and other laws, and is intended solely for the private, non-commercial use by individuals. Any other reproduction, distribution or use of the content, in whole or in part, is specifically forbidden. The prohibited uses include commercial use, "screen scraping", "database scraping", and any other activity intended to collect, store, reorganize or manipulate data on the pages produced by or displayed on this website.
The information contained on this site is based in whole or in part on information that is provided under copyright by the Toronto Regional Real Estate Board (TRREB) or by members of The Canadian Real Estate Association (CREA), who are responsible for its accuracy. TRREB and CREA reproduce and distribute this information as a service for their members and assume no responsibility for its accuracy. All information displayed is believed to be accurate but is not guaranteed and should be independently verified. No warranties or representations of any kind are made with respect to the accuracy of such information. The information provided herein must only be used by consumers that have a bona fide interest in the purchase, sale, or lease of real estate and may not be used for any commercial purpose or any other purpose.