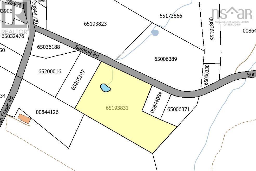
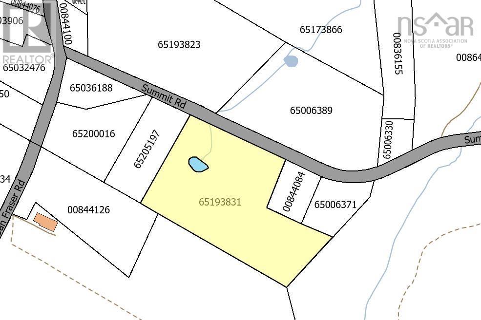
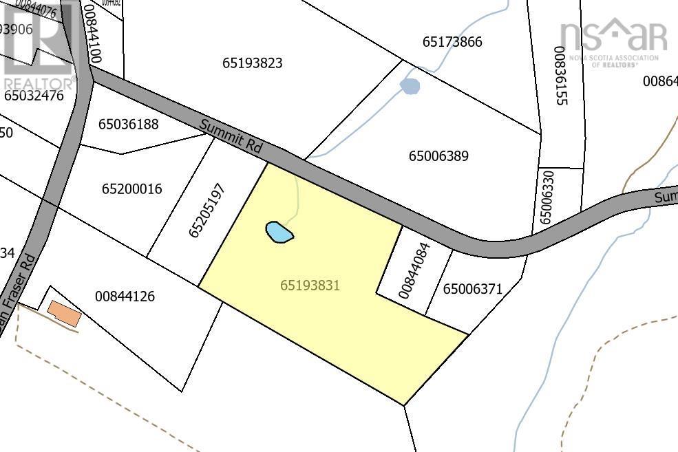
10 Acres with Pond - Summit Road (Just off Alma Road) Opportunity meets versatility on this 10-acre parcel with subdivision potential in a highly convenient location. With generous road frontage and a desirable mix of open and wooded land, this property offers optionsnow and into the future. Subdivision-Friendly Layout Size, frontage, and configuration make this parcel well-suited for exploring future subdivision (subject to approvals). Partially Cleared & Wooded Open areas for building or development, balanced with mature trees for privacy and natural appeal. Pond on the Property A rare and valuable feature that adds character, recreation, and visual interest. Prime Location Just down the road from Northumberland Regional High School and minutes to town amenities. Flexible Use Ideal for a private homestead, hobby farm, opportunity with development in mind. With utilities nearby and a peaceful setting that still keeps you close to everything, this is a standout acreage for buyers thinking both lifestyle and long-term value. A chance to secure land with real future potential. (id:47421)
Interested in obtaining the full price history for this property? Contact us!Contact us! Our real estate professionals would be happy to provide a complete listing history with historical sold prices and dates.
Detailed Information
Features
Level lot, Treed, Partially cleared, Softwood bush
Listing Contract Date
2025-09-02
Location Description
Turn off the Alma road, first road on left past Douglas Road turn left onto Summit the property is on your left with For Sale Sign
Municipal ID
65193831
Ownership Type
Freehold
Property Type
Vacant Land
Transaction Type
For sale
Building
Utility Water
None
Parking Spaces
Name
Spaces
None
Land
Total Size
10 acres
Acreage
Yes
Sewer
No sewage system
Size of Irregular Land
10
Surface Water
Pond or Stream
Terms of Use
Please review and agree to the following terms of use to access the listing content:
REALTOR®, REALTORS®, and the REALTOR® logo are certification marks that are owned by REALTOR® Canada Inc. and licensed exclusively to The Canadian Real Estate Association (CREA). These certification marks identify real estate professionals who are members of CREA and who must abide by CREA's By-Laws, Rules, and the REALTOR® Code. The MLS® trademark and the MLS® logo are owned by CREA and identify the quality of services provided by real estate professionals who are members of CREA;
The information contained on this site is based in whole or in part on information that is provided by members of CREA, who are responsible for its accuracy. CREA reproduces and distributes this information as a service for its members and assumes no responsibility for its accuracy;
This website is operated by a brokerage or salesperson who is a member of CREA;
The listing content on this website is protected by copyright and other laws, and is intended solely for the private, non-commercial use by individuals. Any other reproduction, distribution or use of the content, in whole or in part, is specifically forbidden. The prohibited uses include commercial use, "screen scraping", "database scraping", and any other activity intended to collect, store, reorganize or manipulate data on the pages produced by or displayed on this website.
The information contained on this site is based in whole or in part on information that is provided under copyright by the Toronto Regional Real Estate Board (TRREB) or by members of The Canadian Real Estate Association (CREA), who are responsible for its accuracy. TRREB and CREA reproduce and distribute this information as a service for their members and assume no responsibility for its accuracy. All information displayed is believed to be accurate but is not guaranteed and should be independently verified. No warranties or representations of any kind are made with respect to the accuracy of such information. The information provided herein must only be used by consumers that have a bona fide interest in the purchase, sale, or lease of real estate and may not be used for any commercial purpose or any other purpose.