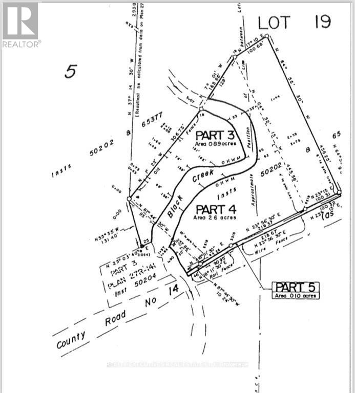
Private Building Lot! 16,000 sq ft of cleared building area to construct your dream home. Black Lake Creek backs & winds through the lot, creating a natural swimming hole with crystal-clear water. The creek is approx 646 ft in length and approx 35 ft wide. Near Perth tucked just off Narrows Lock Road, this 3.7-acre property offers a beautiful views, peaceful, private retreat surrounded by nature. Watch deer and other wildlife from your backyard as they visit the creek. The property backs onto untouched forest and adding to the sense of seclusion. Highlights include: Ultimate Privacy & Outdoor Paradise. Just minutes from Perth, with easy access to lakes, public boat launches, and snowmobile trails. Ready to Build your tiny home or dream home? Tay Valley allows for many options including trailers. Hydro at the lot line, driveway and civic address in place. Development-Ready. Septic and drilled well quotes available. Only 15 minutes from Perth, this lot offers the perfect combination of quiet country living and access to outdoor adventures. Ideal for nature lovers, weekend escapes, 4 wheeling, or building a home in a tranquil setting. (id:47421)
904 - Bathurst/Burgess & Sherbrooke (North Burgess) Twp
Price History
Interested in obtaining the full price history for this property? Contact us!Contact us! Our real estate professionals would be happy to provide a complete listing history with historical sold prices and dates.
Detailed Information
Lot
413.92 x 0 ft
Amenities Nearby
Golf Nearby
Community Features
School Bus
Property Easement
Unknown, None
Features
Level lot, Partially cleared, Level
Listing Contract Date
2025-12-23
Location Description
Cross Streets: Narrows Lock Rd to Pin # 2707. ** Directions: Narrows Lock close to Miners Point Rd.
# of Parking Spaces
6
Property Type
Vacant Land
Transaction Type
For sale
Views
Direct Water View
Waterfront Type
Waterfront on creek
Waterfront Name
Black Creek
Zoning Description
Residential
Building
Basement Development
Unknown
Basement Features
Unknown
Basement Type
Unknown (Unknown)
Cooling Type
Unknown
Heating Fuel
Unknown
Heating Type
Not known
Parking Spaces
Name
Spaces
No Garage
Utilities
Type
Description
Electricity
Available
Land
Total Size
413.94 FT ; 1 | 2 - 4.99 acres
Access Type
Year-round access
Acreage
Yes
Amenities
Golf Nearby
Size of Irregular Land
413.94 FT ; 1
Surface Water
River/Stream
Terms of Use
Please review and agree to the following terms of use to access the listing content:
REALTOR®, REALTORS®, and the REALTOR® logo are certification marks that are owned by REALTOR® Canada Inc. and licensed exclusively to The Canadian Real Estate Association (CREA). These certification marks identify real estate professionals who are members of CREA and who must abide by CREA's By-Laws, Rules, and the REALTOR® Code. The MLS® trademark and the MLS® logo are owned by CREA and identify the quality of services provided by real estate professionals who are members of CREA;
The information contained on this site is based in whole or in part on information that is provided by members of CREA, who are responsible for its accuracy. CREA reproduces and distributes this information as a service for its members and assumes no responsibility for its accuracy;
This website is operated by a brokerage or salesperson who is a member of CREA;
The listing content on this website is protected by copyright and other laws, and is intended solely for the private, non-commercial use by individuals. Any other reproduction, distribution or use of the content, in whole or in part, is specifically forbidden. The prohibited uses include commercial use, "screen scraping", "database scraping", and any other activity intended to collect, store, reorganize or manipulate data on the pages produced by or displayed on this website.
The information contained on this site is based in whole or in part on information that is provided under copyright by the Toronto Regional Real Estate Board (TRREB) or by members of The Canadian Real Estate Association (CREA), who are responsible for its accuracy. TRREB and CREA reproduce and distribute this information as a service for their members and assume no responsibility for its accuracy. All information displayed is believed to be accurate but is not guaranteed and should be independently verified. No warranties or representations of any kind are made with respect to the accuracy of such information. The information provided herein must only be used by consumers that have a bona fide interest in the purchase, sale, or lease of real estate and may not be used for any commercial purpose or any other purpose.