A beautiful 10-acre wooded parcel on Fox Run offering privacy, space, and endless potential. Outdoor enthusiasts will appreciate the proximity to scenic trails and wildlife, while practical features such as paved road access, garbage and recycling pickup, school bus service, and electricity at the lot line ensure convenience. The Cassells Lake water system is also nearby, making this an excellent opportunity for residential development or your dream retreat. (id:47421)
Interested in obtaining the full price history for this property? Contact us!Contact us! Our real estate professionals would be happy to provide a complete listing history with historical sold prices and dates.
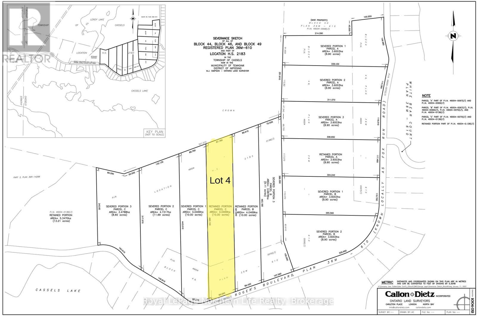
Detailed Information
Lot
56.69 x 490.1 m
Property Easement
Unknown
Features
Wooded area, Level
Listing Contract Date
2025-09-23
Location Description
Cross Streets: FOX RUN & NET CREEK RD. ** Directions: HWY 11 TO O'CONNOR DR, LEFT ON STEVENSRD, RIGHT ON FOX RUN.
Property Type
Vacant Land
Transaction Type
For sale
Zoning Description
IMA
Building
Utilities
Type
Description
Wireless
Available
Electricity Available
At Lot Line
Land
Total Size
56.69 x 490.1 M | 10 - 24.99 acres
Access Type
Year-round access
Acreage
Yes
Size of Irregular Land
56.69 x 490.1 M
Surface Water
Lake/Pond
Terms of Use
Please review and agree to the following terms of use to access the listing content:
REALTOR®, REALTORS®, and the REALTOR® logo are certification marks that are owned by REALTOR® Canada Inc. and licensed exclusively to The Canadian Real Estate Association (CREA). These certification marks identify real estate professionals who are members of CREA and who must abide by CREA's By-Laws, Rules, and the REALTOR® Code. The MLS® trademark and the MLS® logo are owned by CREA and identify the quality of services provided by real estate professionals who are members of CREA;
The information contained on this site is based in whole or in part on information that is provided by members of CREA, who are responsible for its accuracy. CREA reproduces and distributes this information as a service for its members and assumes no responsibility for its accuracy;
This website is operated by a brokerage or salesperson who is a member of CREA;
The listing content on this website is protected by copyright and other laws, and is intended solely for the private, non-commercial use by individuals. Any other reproduction, distribution or use of the content, in whole or in part, is specifically forbidden. The prohibited uses include commercial use, "screen scraping", "database scraping", and any other activity intended to collect, store, reorganize or manipulate data on the pages produced by or displayed on this website.
The information contained on this site is based in whole or in part on information that is provided under copyright by the Toronto Regional Real Estate Board (TRREB) or by members of The Canadian Real Estate Association (CREA), who are responsible for its accuracy. TRREB and CREA reproduce and distribute this information as a service for their members and assume no responsibility for its accuracy. All information displayed is believed to be accurate but is not guaranteed and should be independently verified. No warranties or representations of any kind are made with respect to the accuracy of such information. The information provided herein must only be used by consumers that have a bona fide interest in the purchase, sale, or lease of real estate and may not be used for any commercial purpose or any other purpose.