Industrial
675 Tecumseh Road W
Windsor, ON
N8Z 1H4
| Listed By | RE/MAX GOLD REALTY INC. |
|---|---|
| Data Provided By | Toronto Regional Real Estate Board |
| MLS® Listing Number | X12569318 |
| Last Updated | Mar 29, 2026 |
| Property Type |
Industrial
More like this: |
|---|---|
| Use | Warehouse |
Interested in obtaining the full price history for this property?
Contact us!Contact us! Our real estate professionals would be happy to provide a complete listing history with historical sold prices and dates.
| Listing Contract Date | 2025-11-22 |
|---|---|
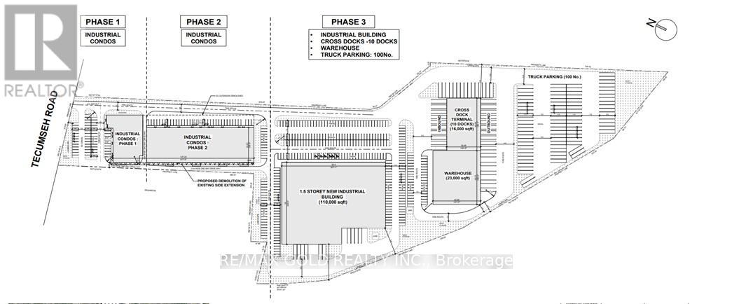
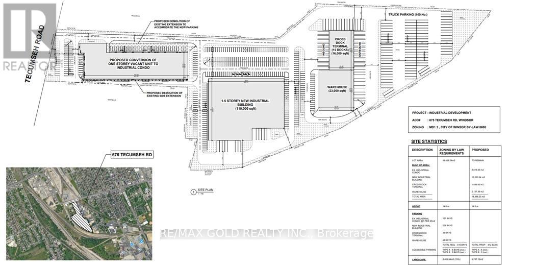
| Location Description | Cross Streets: Tecumseh Rd & South Pacific St. ** Directions: Tecumseh Rd West. |
| # of Parking Spaces | 100 |
| Property Type | Industrial |
| Transaction Type | For sale |
| Zoning Description | md1 (Warehouse / Manufacturing) |
| Business Type | Industrial |
|---|---|
| Business Subtype | Warehouse |
| Age | 31 to 50 years |
|---|---|
| Cooling Type | None |
| Heating Type | No heat |
| Size (Exterior) | 64000 square feet |
| Type | Warehouse |
| Utility Water | Municipal water |
| Total Size | 13.95 acres |
|---|---|
| Acreage | Yes |
| Size of Irregular Land | 13.95 |
The information contained on this site is based in whole or in part on information that is provided under copyright by the Toronto Regional Real Estate Board (TRREB) or by members of The Canadian Real Estate Association (CREA), who are responsible for its accuracy. TRREB and CREA reproduce and distribute this information as a service for their members and assume no responsibility for its accuracy. All information displayed is believed to be accurate but is not guaranteed and should be independently verified. No warranties or representations of any kind are made with respect to the accuracy of such information.
The information provided herein must only be used by consumers that have a bona fide interest in the purchase, sale, or lease of real estate and may not be used for any commercial purpose or any other purpose.
FREE ESTIMATES ARE COMING
Reserve Your Spot To Be Notified
Coming soon to select cities
in North America
(We'll never share your details)


































